Zerfall Gondwanas


Der Zerfall Gondwanas setzte regional schon kurz nach der Formierung des Superkontinents Pangaea ein. Er setzte in mehreren Phasen zwischen unterschiedlichen gondwanischen Kontinentmassen ein. Auslöser waren mächtige verschiedenartige magmatische Ereignisse, die die Erdkrusten dehnten und zu Grabenbrüchen und Ozeanbodenspreizungen führten.[1][2]
Betroffen vom Zerfall Gondwanas waren die Kontinentalblöcke von Afrika, Südamerika, Ostantarktika und Australien sowie Groß-Indien. Groß-Indien entsprach einem Kontinentalblock, der größer war als nach der Kollision mit Laurasia bzw. der Eurasischen Platte (siehe auch → Tektonische Entwicklung des indischen Subkontinents). Diese Kontinentblöcke wurden durch Ozeane bzw. verschiedene Ozeanbecken getrennt, wie des Atlantiks, des Südlichen Ozeans und des Indischen Ozeans.
Der Zerfall Gondwanas kann in folgende tektonische Prozesse gegliedert werden: die Teilung Westgondwanas ab 200 mya, die Trennung Westgondwana von Ostgondwana ab 147 mya sowie den Zerfall Ostgondwanas. Dieser umfasste die Trennung Groß-Indiens von Ostantarktika ab 132 mya, die Trennung Groß-Indiens von Australien ab 155 mya, die Trennung Australiens von Ostantarktika ab 83 mya, die Separierung Zealandias von Westantarktika um 79 mya, die Separierung Madagaskars von Groß-Indien um 90 mya und die Separierung der Seychellen von Madagaskar um 65 mya.
Die Formierung Gondwanas, dessen anschließender Zerfall mit Öffnungen und erneuter Schließung von Ozeanen bzw. Ozeanbecken sowie die Bildung und den Zerfall von Kontinenten entsprechen dem Wilson-Zyklus-Modell.
Die Auflösung Gondwanas bedeutete auch den Zerfall des Superkontinents Pangaea.
Hinweis: Sofern nicht anders vermerkt, beziehen sich die hier aufgeführten Bezeichnungen für die paläogeographischen, geologischen, klimatischen und sonstigen Merkmale der Kontinentalmassen und Ozeane bzw. Meere auf die jeweils behandelten Zeiträume.
Teilung Westgondwanas
-
Kontinentalmassen Westgondwanas vor Öffnung des Atlantiks -
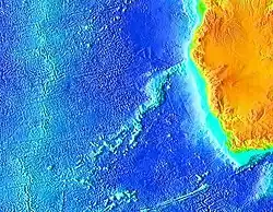
Bathymetrische Karte des heutigen Atlantiks
Die Teilung Westgondwanas wurde verursacht durch die Öffnung des Atlantiks in die afrikanischen und südamerikanischen Kontinentalmassen. Sie vollzog sich in mehreren Phasen. Geologisch und tektonisch wurde sie eingeleitet durch aufsteigende Mantelplumes oder Konvektionszellen aus dem Erdmantel, gefolgt von Grabenbruch- und Ozeanbodenspreizungen sowie massiven magmatischen Ereignissen.
Öffnung des zentralen Atlantiks
Die Öffnung des zentralen Atlantiks steht im Zusammenhang mit der Zentralatlantischen Magmatischen Provinz (ZAMP). Diese erstreckte sich im heutigen Südwesten Europas mit der Iberischen Halbinsel über den Nordwesten Afrikas von Marocco bis zu Guinea. Weiterhin lässt sich die ZAMP entlang der Südostflanke Nordamerikas von Nova Scotia nach Florida sowie von Nord- und Mittelsüdamerika mit den brasilianischen Amapá bis Französisch-Guayana nachweisen. Der massive Magmatismus und Vulkanismus war über ca. 60 Millionen Jahre zwischen ca. 202 und ca. 143 mya aktiv. Als Ursache werden große aufsteigende asthenosphärische Konvektionszellen aus dem Erdmantel angenommen.
Die Entwicklung der ZAMP führte zur Öffnung des zentralen Atlantiks. Diese plattentektonischen Prozesse begannen mit Grabenbruchbildungen. Ozeanbodenspreizungen breiteten sich zwischen ca. 200 und 185 mya aus. Bis ca. 148 mya öffnete sich die westliche Tethys-Bucht, wodurch Gondwana letztlich von Laurasia getrennt wurde. Weitere Plattenbewegungen führten u. a. im Zeitintervall Oligozän bis zum frühen Miozän zur Bildung des Atlas-Gebirgsgürtels.[3]
Öffnung des äquatorialen Atlantiks
-
Benin-Trog als Teil des Zentralafrikanischen Riftsystems -
Zentralafrikanisches Riftsystem
Im nördlichen afrikanischen Benin-Trog, der Teil des Zentralafrikanischen Riftsystems ist, bildete sich die Westafrika-/Äquatorial Atlantische Magmatische Provinz aus. Oberhalb eines Mantelplumes traten in mehreren Phasen magmatische Ereignisse zwischen 138 und 106 mya auf. An den Rändern des sich gebildeten Grabenbruchs sedimentierten von 125 bis 120 mya Dykes. Vulkanoklastika, und andere Vulkanite entstanden von 97 bis 81 mya. Der Magmatisums der Westafrika-/Äquatorial Atlantik-Provinz trat teilweise zeitnah mit dem im brasilianischen Maranhão-Becken auf. Sie wird mit der Öffnung des Äquatorial-Atlantiks in Verbindung gebracht, dessen Ozeanbodenspreizung zwischen ca. 125 und 110 mya erfolgte.
Öffnung des südlichen Atlantiks
Die Öffnung des südlichen Atlantiks wurde durch den Tristan-da-Cunha-Mantelplume eingeleitet.[4] Massive Magmaaustritte und Vulkanite, verbunden mit regionalen Krustenanhebungen, bildeten daraufhin die Paraná-Etendeka-Provinz.[5] Sie bedeckten große Gebiete im südamerikanischen Paraná-Becken sowie im afrikanischen Nordwesten Namibias und im Südwesten Angolas.[6] Die Magmen ergossen sich über einen Zeitraum von ca. 138 bis 83 mya und bedeckten eine Fläche von ca. 1,5 Millionen Quadratkilometern mit einem Volumen von mehr als 2,3 Millionen Kubikkilometern.
-
Karte des Walfischrückens vor Namibia -
Karte des Rio Grande Rise vor Brasilien
Grabenbrüche traten in den südlichsten Bereichen ab ca. 190 mya auf. Der Nordwest-Südost verlaufende Ponta Grossa-Dykeschwarm[7], benannt nach der brasilianischen Großstadt Ponta Grossa im Bundesstaat Paraná, wird als beginnende Ozeanbodenspreizung 132 mya angesehen. Sie erfolgte auch zeitäquivalent mit der im Weddellmeer-Becken. (Siehe → Spreizung zwischen Antarktika und Afrika.) Dadurch wurde die Öffnung des südlichen Atlantiks eingeleitet. Diese Spreizung ist noch heute dokumentiert in einer vulkanischen Hotspot-Kette auf dem Ozeanboden zwischen dem afrikanischen Walfischrücken und dem südamerikanischen Rio Grande Rise. Vor dem westbrasilianischen Kontinentalrand bildete sich die Vitoria-Trindade Hotspot-Tiefseebergkette aus.[8]
Trennung Westgondwana von Ostgondwana
-
Kontinentalmassen Ostgondwanas vor der Separierung von Westgondwana -
Lage des heutigen Weddellmeeres im heutigen Südlichen Ozean
Zwischen dem nordwestlichen Antarktika, dem östlichen Afrika und dem südamerikanischen Patagonien entstand eine Spreizungszone, die ihren Ursprung in einer Triple Junction, der Weddell-Triple Junction, hatte.[9] Diese bildete das Zentrum von aufsteigenden Magmen aus dem Erdmantel, wodurch die magmatischen Großprovinzen der Karoo-Ferrar-Magmaprovinzen entstanden. Die Magmafreisetzungen begannen um 204 mya, die Hauptphase datiert zwischen 184 und 175 mya.
Die Spreizungszone verlief vom Weddellmeer, dann weiter nördlich zwischen dem gesamten östlichen afrikanischen Kontinentalrand einerseits sowie zwischen dem westlichen Antarktika und dem westlichen Groß-Indien andererseits.
Spreizung zwischen Antarktika und Afrika
-
Karte von Antarktika und der umliegenden Meere -

-
Karte des Südwestindischen Rückens
Frühe Spreizungprozesse ereigneten sich zwischen 180 und 167 mya im Becken des heutigen Weddellmeeres. Ozeanbodenspreizungen bildeten sich dort um etwa 147 mya, verursacht durch das Weddellmeer-Riftsystem. Dieser Dehnungsbereich weitete sich aus bis zur heutigen antarktischen Riiser-Larsen-See und Kosmonautensee mit der dazwischen liegenden Gunnerus Ridge[10] sowie dem heutigen afrikanischen Mosambik-Becken[11]. (Siehe auch → Mosambik-Gürtel.) In diesem entstand von 83 bis 63 mya die Conrad Rise-Hotspotkette[12]. Sie entwickelte sich zum ultralangsamen Südwestindischen Rücken. Dieser Rücken bildet eine divergierende tektonische Plattengrenze, die die Somaliplatte im Norden von der Antarktischen Platte im Süden trennt. Die tektonischen Prozesse führten zur Trennung Südwestantarktikas von Südamerika im Bereich von Patagonien.[13]
Spreizung zwischen Groß-Indien und Afrika

Die Spreizung zwischen Groß-Indien mit dem tektonisch verbundenen Madagaskar und den Seychellen einerseits sowie Afrika andererseits lässt sich nachvollziehen im West-Somali-Becken. Die südwärtige Kontinentaldrift Groß-Indiens erzeugte mehrere ozeanische Transformstörungen und Bruchzonen bzw. Scherzonen, die die Davie Fracture Zone bzw. das Davie Transform System bilden und die Driftbewegung dokumentieren. Sie reicht vom West-Somali-Becken bis zum nördlichen Mosambik-Becken bzw. der Straße von Mosambik. Im Zentrum erhebt sich die Davie Ridge.[14] Diese verläuft quasiparallel zum südöstlichen Rand des Ostafrikanischen Orogens und besteht aus kontinentaler Kruste mit einer Dicke von 10 bis 12 km.
Die Krustendehnung und erste Ozeanbodenspreizung setzte ab ca. 163 mya ein. Um ca. 139 mya begann sich eine Verbindung zwischen dem West-Somali-Becken und dem Mosambik-Becken zu bilden. Um 126 mya war Groß-Indien von Afrika vollständig getrennt und damit auch die Trennung Ostgondwanas von Westgondwana vollzogen.[15]
Zerfall Ostgondwanas
Der Zerfall Ostgondwanas vollzog in mehreren Phasen über einen längeren Zeitraum. Er schloss insbesondere die Abtrennung Antarktikas von Südostafrika, die Loslösung Groß-Indiens von Ostafrika sowie die Separierung Groß-Indiens von Antarktika und Australien ein. Des Weiteren wurden Zealandia, Madagaskar und die Seychellen isoliert.
-

-
Lage des Kerguelenplateaus im Indischen Ozean, markiert durch eine weiße Ellipse -
Hotspot-Spur des Neunzig-Grad-Ost-Rückens -
Indischer Ozean mit Ozeanbodenrelief
Trennung Groß-Indiens von Ostantarktika
-
Lage der Ostghats auf den heutigen Indischen Subkontinent -
Enderbyland mit der Rayner-Provinz und dem Napier-Konplex -
Verlauf des Südostindischen Rücken, gelb markiert -
Karte des Südwestindischen Rückens
Die Trennung Groß-Indien von Antarktika begann mit Grabenbruchbildungen ab ca. 160 mya ein, denen Ozeanbodenspreizungen ab ca. 132 mya folgten. Sie erfolgten zwischen den indischen Ostghats und der antarktischen Rayner-Provinz mit dem Napier-Komplex. Beide liegen vor dem Enderbyland mit der ozeanseitigen abyssale Tiefseeebene der Enderby Plain[16]. Die östliche Begrenzung bildet der Tiefseerücken der Bruce Spur in der Mawsonsee. Die Enderby Plain bildet einen breiten Übergang, der die kontinentale von der ozeanischen Kruste trennt. Während die ozeanische Erdkruste nahe der Kontinent-Ozean-Grenze nur 3,5 bis 5 km dick ist, nimmt ihre Dicke nach Norden in Richtung des südlichen Kerguelenplateaus auf 12 km zu. Dessen Elan-Bank war vor der Trennung ein Krustenblock Groß-Indiens und wurde plattentektonisch um 108 mya ans Kerguelenplateau verschoben. Die Indische Platte wurde von der Antarktischen Platte durch den Südostindischen Rücken und den Südwestindischen Rücken getrennt.
Die geochronologischen Daten des Kerguelen-Hotspots mit der Flutbasaltprovinz des Kerguelenplateaus zeigen, dass deren Magmatismus um 118 mya zu jung ist, um die Ursache des ersten Aufbrechen dieser Kontinentalränder um ca. 132 mya gewesen sein zu können.
Trennung Groß-Indiens von Australien
Während der Trennung Groß-Indiens von Australien[17] zwischen 155 und 110 mya entwickelten sich vor dem westlichen Kontinentalrand Australiens mehrere Tiefseeebenen.[18] Diese umfassen vom Nordwesten zum Südwesten die Argo Abyssal Plain[19], die Gascoyne Abyssal Plain[20] und die Cuvier Abyssal Plain[21] und die südliche gelegene Perth Abyssal Plain[22]. Namengebend sind die jeweiligen australischen Regionen, während die Bezeichnung Argo sich auf einen versunkenen Kontinentalsplitter oder einen Archipel Argoland[23] bezieht. Zwischen diesen Tiefseeebenen und dem Kontinentalrand liegt das submarine epikontinentale Carnarvonbecken, das über ca. 1000 km vom Mid West bis zur nördlichen Gascoyne verläuft. Im Süden geht es in die Perth Abyssal Plain über. Diese Tiefseeebenen gehen über in die Enderby Plain, wo sie Anschluss an das Kerguelenplateau haben.
Das intrakontinentale Auseinanderbrechen um 155 mya ist belegt durch Laven an den Rändern des Scott-Plateaus und der angrenzen Rowley-Terrassen[24] sowie des Exmouth-Plateaus[25]. Diese submarinen Plateaus befinden sich vor den heutigen westaustralischen Regionen Kimberley bzw. Pilbara. Weitere bedeutende Plateaubasalte bilden das Wallaby-Plateau[26] und das Naturaliste-Plateau. Das Wallaby-Plateau liegt nordwestlich der heutigen australischen Stadt Perth, während das Naturaliste-Plateau sich am Rand der Perth Abyssal Plain befindet. Beide korrelieren mit den Kerguelen-Rajmahal-Trapps. Des Weiteren entstanden von 137 bis 131 mya die Burnbury-Basalte[27] bei der heutigen Stadt Burnbury im äußerten Südwesten von Western Australia. Dessen Basalte sind wiederum Teil des Magmatismus der Naturaliste- und Wallaby-Plateaus[28].
Trennung Australiens von Ostantarktika

Die Trennung[29] Australiens von Ostantarktika steht im Zusammenhang mit der Trennung Groß-Indiens von Australien, da sie eine Triple-Junction-Kontinental-Konfiguration bildeten und durch den Kerguelen-Hotspot beeinflusst wurden. Die Trennung begann mit einem Dehnungsregime um 136 mya, Ozeanbodenspreizung setzte um 83 mya ein, die sich ab 43 mya zum Südostindischen Rücken erweiterte.
Die Kontinentaldrift hinterließ eindeutige Bruchzonen (Fracture Zones). Sie vollzog sich zwischen dem westlichen Australien mit dem Albany-Fraser-Orogen[30] und dem östlichen Ostantarktika mit dem heutigen Wilkesland und Georg-V.-Land. Vor Wilkesland erstreckt sich die Vincennes Fracture Zone, ihr gegenüber befindet sich die australische Leeuwin Fracture Zone. Die Vincennes Fracture Zone schließt an die Bruce Spur an, während die Leeuwin Fracture Zone unterhalb des Naturaliste-Plateau beginnt. Beide Bruchzonen verlaufen quasiparallel zu den entsprechenden Kontinentalrändern.[31] Zwischen Georg-V.-Land, Victoria und der Insel Tasmanien verlaufen drei parallele Ozeanbodenrücken, die den Driftverlauf dokumentieren: die Georg V Fracture Zone, die Tasman Frakture Zone und die Balleny Fracture Zone. Während der Trennung bildete sich die heutige australische Große Australische Bucht (Great Australian Bight).
Separierung Zealandias von Westantarktika
-
Beginn des Pazifischen Ozeans vor 180 mya in der blau markierten Triple Junction der ozeanischen Platten -
Karte Zealandias mit dem Hikurangi Plateau und der Chatham Rise -
Paläogeographische Situation um 90 mya mit Zealandia (unten rechts), zwischen Australien und der Antarktis nahe dem Südpol. Die aktuelle Position Neuseelands ist weiß umrandet (Mitte links). -
Tektonische Karte Neuseelands
Zealandia lag etwa bis zur mittleren Kreide als Mikro-Kontinent am Westantarktika-Kontinentalrand mit dem heutigen Marie-Byrd-Land. Unter diesen subduzierten in einer Triple-Junction-Konfiguration die Pazifischen Platte und die Phoenix-Platte und die sich bildende Pazifischen Platte. Um etwa 100 mya kollidierte und subduzierte das vulkanische Hikurangi Plateau[32] mit der Chatham Rise und dem anschließenden Chathmam-Plateau. Die Subduktion dauerte von etwa 97 bis 95 mya, gefolgt von einer frühen Divergenz zwischen der Pazifischen Platte und der Antarktischen Platte, die zur Krustenausdehnung und Rifting zwischen dem Hikurangi Plateau, der Chatham Rise mit der südlichen Insel sowie Bildung der Amundsensee-Bucht ab 90 mya führte. Die früheste ozeanische Kruste zwischen dem Campbell-Plateau und Marie Byrd Land bildete sich von 84 bis 83 mya. Um 79 mya wurden das Campbell-Plateau von Marie-Byrd-Land getrennt. Damit war die Separierung Zealandias von Westantarktika vollzogen. Die nördliche Insel trennte sich um 60 mya von Australien und driftete an den Rand der Australischen Platte, während die südliche Insel auf der Pazifischen Platte liegt.[33]
Dehnungsinduzierter Magmatismus trat auf der Antarktischen Halbinsel von 141 bis 127 mya, im Marie-Byrd-Land von 110 bis 100 mya und im westlichen Neuseeland mit Krustenanhebung von 114 bis 82 mya auf. Zwischen Südost-Australiens und dem zealandischen Lord Howe Rise entstanden Magmatismus und Ozeanbodenspreizungen von 85 bis 55 mya, aus denen die heutige Tasmansee hervorging. Nördlich vom Marie-Byrd-Land senkte sich das Westantarktische Riftsystem ein, das zum heutigen Rossmeer wurde. Hinter dem Westantarktischen Riftsystem faltete sich um 65 mya das Transantarktische Gebirge auf, welches West- von Ostantarktika trennt.[34][35]
Separierung Madagaskars von Groß-Indien

Der Separierung Madagaskars von Groß-Indien ging das Aufsteigen eines Mantelplumes voraus. Die sich daraus entwickelnden magmatischen Ereignisse werden als Madagaskar-Provinz bezeichnet. Sie schließt die Seychellen mit ein. Der Plume breitete sich ungefähr zentral unter Madagaskar aus und erzeugte einen Grabenbruch und eine Ozeanbodenspreizung zwischen Ostmadagaskar, Südwestindien und den Westseychellen. Südwestlich dieses Rifts und südlich Madagaskars entstand das Mascarene-Plateau,[36] ein ozeanisches Basaltplateau, während sich nordöstlich des Rifts eine terrestrische Lavaprovinz ausbreitete. Das Alter dieser magmatischen Ereignisse datiert zwischen 92 und 84 mya. Die Spreizungsphase begann um 90 mya und dauert bis 63 mya, als diese Ozeanbodenspreizung in das sich neu bildende Seychellen-Rift überging. Der madagassische Antogil-Block stellt den abgetrennten Teil des indischen Dhawrar-Kratons dar. Somit hatte sich Madagaskar von Groß-Indien gelöst. Seitdem ist Madagaskar von Afrika durch die Straße von Mosambik von Groß-Indien getrennt.(siehe auch → Entstehung von Madagaskar)
Separierung der Seychellen von Madagaskar
Die Loslösung der Seychellen von Groß-Indien folgte nach der Separierung Madagaskars. Wesentliche Ursache war die magmatische Großprovinz des indischen Dekkan-Trapps. Dessen Hauptphase der Eruptionen erfolgte von etwa 69 bis 65 mya. In nördlichen und zentralen Bereichen der Seychellen traten magmatische Aktivitäten von 67 bis 61 mya auf. Daraus entstanden die granitischen Seychellen mit 42 Granitinseln. Zwischen dem Südwesten Groß-Indiens und den Seychellen führte ein Grabenbruch mit der Carlsberg Ridge[37] zur Abtrennung der Seychellen um 65 mya.
Literatur
- Sebastián Oriolo, Pedro Oyhantçabal, Klaus Wemmer, Siegfried Siegesmund und Stephen Mcloughlin: Contemporaneous assembly of Western Gondwana and final Rodinia break-up: Implications for the supercontinent cycle. In: Geoscience Frontiers 8 (2017), 1431–1445.
- Stephen Mcloughlin: The breakup history of Gondwana and its impact on pre-Cenozoic floristic provincialism. In: Australian Journal of Botany, 49(3):271–300, January 2001.
- Wilfried Jokat, Tobias Boebel, Matthias König und Uwe Meyer: Timing and geometry of early Gondwana breakup. In: Journal of Geophysical Research, Volume 108, Issue B9. Alternativ https://www.researchgate.net/publication/242073718_Timing_and_geometry_of_Early_Gondwana_breakup
- R. Bastia und M. Radhakrishna: Chapter 2 - Reconstruction of Eastern Gondwanaland Breakup and Evolution of the Passive Continental Margin of India. In: Developments in Petroleum Science, Volume 59, 2012, Pages 23–56.
- Michael Chin: Seafloor spreading around Australia. In: EarthByte, 15 December, 2000.
- Simon E. Williams, Joanne M. Whittaker und R. Dietmar Müller: Full-fit reconstructions of the southern Australian margin and Antarctica – implications for correlating geology between Australia and Antarctica. In: Eastern Australasian Basins Symposium IV, September, 2012.
- Joanne M. Whittaker, Simon E. Williams und R. Dietmar Müller: Tectonic Evolution and Continental Fragmentation of the Southern West Australian Margin. In: West Australian Basins Symposium, 2013.
- George Gibson, J. M. Totterdell, Lloyd White, Cameron Mitchell und andere: Pre-existing basement structure and its influence on continental rifting and fracture zone development along Australia's southern rifted margin. In: Journal of the Geological Society, 170(2): 365–377, March 2013.
- Florian Riefstahl, Karsten Gohl, Bryan Davy und Rachel Barrett: Extent and Cessation of the Mid‐Cretaceous Hikurangi Plateau Underthrusting: Impact on Global Plate Tectonics and the Submarine Chatham Rise. In: JGR Solid Earth, Research Article, Volume 125, Issue 8. 14. August 2020.
- Joanne M. Whittaker, Simon E. Williams, R. Dietmar Müller: Revised tectonic evolution of the Eastern Indian Ocean. In: Geochemistry, Geophysics, Geosystems, Volume 14, Issue 6, Pages: 1685–2062, June 2013.
- Paul Fitzgerald: Tectonics and landscape evolution of the Antarctic plate since the breakup of Gondwana, with an emphasis on the West Antarctic Rift System and the Transantarctic Mountains. In: Bulletin, Antarctica at the close of a millennium, Royal Society of New Zealand 35: 2002, 453–469 1–877264–06–7.
- S. E. Bryan, A. Ewart, C. J. Stephens, J. Parianos und P. J. Downes: The Whitsunday Volcanic Province, Central Queensland, Australia: lithological and stratigraphic investigations of a silicic-dominated large igneous province. In: Journal of Volcanology and Geothermal Research, Volume 99, Issues 1–4, June 2000, Pages 55–78.
Einzelnachweise
- ↑ A. Segev: Flood basalts, continental breakup and the dispersal of Gondwana: evidence for periodic migration of upwelling mantle flows (plumes). In: EGU Stephan Mueller Special Publication Series, 2, 171–191, 2002.
- ↑ Maria Seton, Dietmar Müller, Sabin Zahirovic, Michael T. Chandler und andere: Global continental and ocean basin reconstructions since 200 Ma. In: Earth-Science Reviews, 113 (2012), 212-270.
- ↑ Antonio Schettino, Eugenio Turco: Breakup of Pangaea and plate kinematics of the central Atlantic and Atlas regions. In: Geophysical Journal International, Volume 178, Issue 2, August 2009, Pages 1078–1097.
- ↑ M. Ernesto, L. S Marques, E. M. Piccirillo, E. C. Molina und andere: Paraná Magmatic Province–Tristan da Cunha plume system: fixed versus mobile plume, petrogenetic considerations and alternative heat sources. In: Journal of Volcanology and Geothermal Research, Volume 118, Issues 1–2, 15, November 2002, Pages 15-36.
- ↑ Allan Silva Gomes und Paulo Marcos Vasconcelos: Geochronology of the Paraná-Etendeka large igneous province. In: Earth-Science Reviews, Volume 220, September 2021, 103716.
- ↑ Paul R. Renne, Jonathan M. Glen, Simon C. Milner und Andrew R. Duncan: Age of Etendeka flood volcanism and associated intrusions in southwestern Africa. In: Geology, (1996) 24 (7): 659–662.
- ↑ Paul R. Renne, Katja Deckart, Marcia Ernesto, Gilbert Fe´raud und Enzo M. Piccirillo: Age of the Ponta Grossa dike swarm (Brazil), and implications to Parana´flood volcanism. In: Earth and Planetary Science Letters, Volume 144, Issues 1–2, October 1996, Pages 199-211.
- ↑ S. G. Skolotnev, A. A. Peyve und N. N. Turko: New data on the structure of the Vitoria-Trindade seamount chain (western Brazil basin, South Atlantic). In: Doklady Earth Sciences, Volume 431, pages 435–440, (2010).
- ↑ David Elliot und Thomas H. Fleming: Weddell triple junction: The principal focus of Ferrar and Karoo magmatism during initial breakup of Gondwana. In: Geology, 28(6):539-542, January 2000.
- ↑ Jason R. Ali und David W. Krause: Late Cretaceous bioconnections between Indo-Madagascar and Antarctica: refutation of the Gunnerus Ridge causeway hypothesis. In: Journal of Biogeography, Volume 38, Issue 10, Pages 1855-1872, October 2011.
- ↑ G. Salman und I. Abdula: Development of the Mozambique and Ruvuma sedimentary basins, offshore Mozambique. In: Sedimentary Geology, Volume 96, Issues 1–2, April 1995, Pages 7-41.
- ↑ S. Homrighausen, K. Hoernle, J.-A. Wartho, F. Hauff und R. Werner: Do the 85°E Ridge and Conrad Rise form a hotspot track crossing the Indian Ocean?. In: Lithos, Volumes 398–399, October 2021, 106234.
- ↑ Matthias König und Wilfried Jokat: The Mesozoic breakup of the Weddell Sea. In: Geomagnetism and Paleomagnetism/Marine Geology and Geophysics, Volume 111, Issue B12, December 2006.
- ↑ Vormann, M. , Franke, D. und Jokat: The crustal structure of the southern Davie Ridge offshore northern Mozambique – A wide-angle seismic and potential field study. In: Tectonophysics, 778 (228370), (2020)
- ↑ Maren Vormann und Wilfried Jokat: Crustal variability along the rifted/sheared East African margin: a review. In: Geo-Marine Letters, 41(2), June 2021.
- ↑ Tabea Altenbernd-Lang, Wilfried Jokat und German L Leitchenkov: Distribution of oceanic crust in the Enderby Basin offshore East Antarctica. In: Geophysical Journal International, Volume 231, Issue 3, December 2022, Pages 1959–1981.
- ↑ Carmen Gaina, R. Dietmar Müller, Belinda Brown, Takemi Ishihara und Sergey Ivanov: Breakup and early seafloor spreading between India and Antarctica. In: Geophysical Journal International, Volume 170, Issue 1, July 2007, Pages 151–169.
- ↑ Ana D. Gibbons, Udo Barckhausen, Paul van den Bogaard, Kaj Hoernle und andere: Constraining the Jurassic extent of Greater India: Tectonic evolution of the West Australian margin. In: Geophysics, Geochmistry, Geosystems, Volume 13, Issue 5, May 2012.
- ↑ D. Gopala Rao, Krishna K.s., A. I. Pillipenko, V. Subrahmanyan, V. I. Dracheva und Neville Exon: Tectonic and sedimentary history of the Argo Abyssal Plain, eastern Indian Ocean. In: AGSO journal of Australian geology & geophysics, 15(1), January 1994.
- ↑ Masako S. Robb: Re-examination of the magnetic lineations of the Gascoyne and Cuvier Abyssal Plains, off NW Australia. In: Geophysical Journal International, Volume 163, Issue 1, October 2005, Pages 42–55.
- ↑ Matthew T. Reeve, Craig Magee, Ian D. Bastow, Carl McDermott und andere: et al., 2021 - Nature of the Cuvier Abyssal Plain.pdf Nature of the Cuvier Abyssal Plain crust, offshore NW Australia. In: Journal of the Geological Society, September 2021, White Rose Research Online.
- ↑ Simon Williams, Joanne M Whittaker und Dietmar Müller: Newly-recognised Continental Fragments Rifted from the West Australian Margin. In: Conference: West Australian Basins Symposium IVAt: Perth, WA, August 2013.
- ↑ Eldert L. Advokaat und Douwe J.J. van Hinsbergen: Finding Argoland: Reconstructing a microcontinental archipelago from the SE Asian accretionary orogen. In: Gondwana Research, Volume 128, April 2024, Pages 161-263.
- ↑ H . M . J . Stag und N . F . Exon: Geology of the Scott Plateau and Rowley Terrace off northwestern Australia. In: Bulletin of the Bureau of Mineral Resources, Geology and Geophyics.
- ↑ N.F. Exon 1, U. Von Rad 2, U. Von Stackelberg: The geological development of the passive margins of the Exmouth Plateau off northwest Australia. In: Marine Geology, Volume 47, Issues 1–2, May 1982, Pages 131-152.
- ↑ Symonds, Cameron, Quilty und andere: Wallaby Plateau. In: Geocience Australia, 7. June 2023.
- ↑ Hugo K.H. Olierook, Fred Jourdan, Renaud E. Merle, Nicholas E. Timms und andere: Bunbury Basalt: Gondwana breakup products or earliest vestiges of the Kerguelen mantle plume?. In: Earth and Planetary Science Letters, Volume 440, Pages 20-32, 15 April 2016.
- ↑ Ulrich von Stackelberg, Neville Exon, Ulrich von Rad und Patrick Quilty: Geology of the Exmouth and Wallaby Plateaus off north-west Australia: Sampling seismic sequences. In: BMR Journal of Australian Geology and Geophysics, 5:113-140, February 1980.
- ↑ Joanne M. Whittaker, Simon E. Williams und R. Dietmar Müller: Revised tectonic evolution of the Eastern Indian Ocean. In: Geochemistry, Geophycics und Geosystems, Volume 14, Issue 6, Pages 1891-1909, June 2013.
- ↑ Catherine Spaggiari, Chris Kirkland, Hugh Smithies, Sandi Occhipinti und Mike Wingate: Geological framework of the Albany–Fraser Orogen. In: Seismic and MT Workshop, April 9th 2014
- ↑ Anahita Tikku und Steven C. Cande: The oldest magnetic anomalies in the Australian-Antarctic Basin: Are they isochrons?. In: Journal of Geophysical Research Atmospheres, 104(B1):661-678, January 1999.
- ↑ Florian Riefstahl, Karsten Gohl, Bryan Davy und Rachel Barrett: Extent and Cessation of the Mid‐Cretaceous Hikurangi Plateau Underthrusting: Impact on Global Plate Tectonics and the Submarine Chatham Rise. In: Research Article, 14 Jun 2020.
- ↑ Nick Mortimer, Simon Williams, Maria Seton, Andy Calvert und andere: Reconnaissance_basement_geology_and_tectonics_of_North_Zealandia. In: Tectonics, Volume 42, Issue 10, October 2023.
- ↑ Dr. Karsten Gohl: Tectonic and sedimentation processes of West Antarctica and the southern Pacific and their relationship to glacial history. In: Habilitationsschrift, eingereicht am Fachbereich Geowissenschaften der Universität Bremen, Juni 2015.
- ↑ Andy J. Tulloch, Nick Mortimer, Trevor R. Ireland, Tod E. Waight, Roland Maas und andere: Reconnaissance Basement Geology and Tectonics of South Zealandia. In: Tectonics, Volume 38, Issue 2, Pages 516-551, February 2019.
- ↑ R. L Fisher, G. L Johnson und B. C Heezen: Mascarene Plateau, Western Indian Ocean. In: GSA Bulletin, 1967; 78 (10): 1247–1266.
- ↑ Morgan Ganerød, Torsvik, Douwe van Hinsbergen, Carmen Gaina und andere: Palaeoposition of the Seychelles microcontinent in relation to the Deccan Traps and the Plume Generation Zone in Late Cretaceous-Early Palaeogene time. In: Geological Society London Special Publications, 357(1), October 2011