Washington Dulles International Airport

Washington Dulles International Airport
Ansicht des Hauptterminals
Washington Dulles (Virginia)
Washington Dulles (Virginia)
Washington Dulles
Lokalisierung von Virginia in USA
Kenndaten
ICAO-Code KIAD
IATA-Code IAD
Koordinaten 38° 56′ 40″ N, 77° 27′ 21″ W
Höhe über MSL 95,4 m  (313 ft)
Verkehrsanbindung
Entfernung vom Stadtzentrum 36 km westlich von Washington, D.C.
Straße S28 S267
Bahn
Nahverkehr Bus:
Fairfax Connector
Virginia Breeze
Megabus.com
Basisdaten
Eröffnung 17. November 1962[1]
Betreiber Metropolitan Washington Airports Authority
Fläche 4526[2] ha
Terminals 3
Passagiere 27.254.087[3] (2024)
Luftfracht 224.415 t[3] (2024)
Flug-
bewegungen
263.011[3] (2024)
Beschäftigte 20.991[4] (2012)
Start- und Landebahnen
01L/19R 2865 m × 46 m Beton
01C/19C 3505 m × 46 m Beton
01R/19L 3505 m × 46 m Beton
12/30 3201 m × 46 m Beton
12R/30L (geplant)



i7 i11 i13

Der Washington Dulles International Airport (auch einfach Dulles International Airport, IATA-Code: IAD, ICAO-Code: KIAD) ist nach Passagierzahlen der größte Flughafen der Washington Metropolitan Area und einer der größeren Verkehrsflughäfen in den USA. Der Flughafen liegt ca. 36 Kilometer westlich von Washington, D.C., in Virginia (Eastern Time Zone) und wurde nach dem ehemaligen Außenminister John Foster Dulles benannt. Der Entwurf des Hauptterminals und des Towers stammte von dem finnischen Architekten Eero Saarinen. Der Flughafen dient als Drehkreuz für United Airlines. Mit 26.969.128 kommerziellen Passagieren lag er im Jahr 2024 auf Platz 24 der größten Flughäfen der Vereinigten Staaten, weltweit lag er auf Platz 97.[5]

Verkehrsanbindung

Blick entlang eines Bahnsteigs. In der Mitte die oberen Enden zweiter Rolltreppen, der Mittelbahnsteig in Terrakotta- und Grautönen gehalten. Fkächen wie Decke und Hintergleiswände sind indirekt diffus beleuchtet, Fahrgastinformation und Wegweiser sind weitere Lichtquellen. Auffällig ist die für die Metro Washington typische, nach oben gerichtete Beleuchtung der Bahnsteigkanten mit eingelassenen runden Leuchten. Auf den beiden Gleisen ist je ein Metrozug sichtbar.
Flughafenbahnhof Metro Washington

Der Flughafen ist seit dem 15. November 2022 in das Metronetz von Washington D.C. eingebunden. Im Flughafenbahnhof hält die Silver Line (silberne Linie) von Ashburn nach Downtown Largo.[6] Die einfache Fahrt mit der Metro kostet im Jahr 2022 je nach Tageszeit und Entfernung zwischen 2 und 6 USD.[7]

Stadtbusse der Marke Fairfax Connector nach Fairfax County[8] bedienen den Flughafen ebenso wie Regionalbusse der Marken Megabus.com und Virginia Breeze.[9] Expressbusse des Metro-Betreibers WMATA wurden mit Eröffnung der Metro-Anbindung im November 2022 eingestellt. Es besteht ein reguliertes Taxi-Angebot. Die Preise der über Online-Vermittlungsdienste angebotenen Fahrten[10] enthalten einen Sockelbetrag für die Flughafengesellschaft WMAA. Zu beachten ist, dass bei der Metro mit Stand November 2022 die nächtliche Betriebsruhe meistens bereits früher als bei der vorherigen Busbedienung einsetzt,[11] so dass für Passagiere danach ankommender Flüge nur Taxis und Vermittlungsdienste zur Verfügung stehen.

Über die Dulles Access Road in Mittellage der Dulles Toll Road besteht eine 14 Meilen lange mautfreie Direktverbindung an die Capital Beltway genannte Ringautobahn I-495, die Washington D.C. umschließt.

Geschichte

Das Flughafenareal ist etwa 45,26 km² (11.184 ac) groß und erstreckt sich über die Grenze von Fairfax County und Loudoun County.[2] Der Flughafen befindet sich zwischen zwei gemeindefreien Gebieten, Chantilly und Dulles, westlich von Herndon und südwestlich von Sterling. 1958 wurde das ehemalige gemeindefreie Gebiet Willard aufgelöst, um für Dulles Platz zu schaffen. Außerdem wurden zahlreiche Straßen, Häuser, Geschäfte und Schulen abgerissen, um Platz für die Landebahnen zu schaffen.

Der Flughafen wurde am 17. November 1962 vom US-Präsidenten John F. Kennedy als Dulles International Airport eröffnet und im Jahr 1984 zu Washington Dulles International Airport ergänzt.[1] Der Flughafen wurde im Film Stirb langsam 2 als Motiv eingesetzt.

Flughafenanlagen

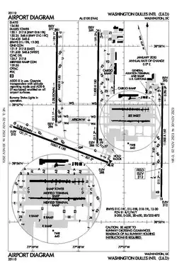
Flughafendiagramm

Der Washington Dulles International Airport erstreckt sich über eine Fläche von 4526 Hektar.[2]

Start- und Landebahnen

Der Washington Dulles International Airport verfügt über insgesamt vier Start- und Landebahnen. Drei Start- und Landebahnen verlaufen in einer Nord-Süd-Ausrichtung parallel zueinander, die andere Start- und Landebahn verläuft in einer Nordwest-Südost-Ausrichtung.[12] Die Errichtung einer fünften Start- und Landebahn mit der Kennung 12R/30L, deren Abmessungen der Start- und Landebahn 12/30 entsprechen sollen, ist geplant.[2][13]

Bezeichnung Maße
in Metern
Belag Ausrichtung Inbetriebnahme
01R/19L 3505 × 46 Beton Nord-Süd 1962
01C/19C 3505 × 46 Beton Nord-Süd 1962
01L/19R 2865 × 46 Beton Nord-Süd 2008
12/30 3201 × 46 Beton Nordwest-Südost 1962

Terminals

Ein Mobile-Lounge
Ein AeroTrain

Der Flughafen hat einen Hauptterminal und zwei „Midfield Terminals“, welche aus jeweils zwei Concourses bestehen. Es gibt 125 Flugsteige im ganzen Flughafen. Der Flughafen benutzt seit der Eröffnung „Mobile Lounges“ genannte Spezialbusse, welche direkt an Flugzeuge andocken können. Mittlerweile werden sie nur noch für den Transport zu den Concourses A und D genutzt. 2004 wurde ein Tunnel zwischen dem Hauptterminal und Concourse B eröffnet. Am 26. Januar 2010 wurde zudem ein Peoplemover-System mit der Bezeichnung „AeroTrain“ in Betrieb genommen. Es verbindet das Hauptterminal mit den Concourses A, B und C, wobei der Halt für Terminal C jenseits des eigentlichen Terminals im Bereich des projektierten neuen Terminals liegt und per Tunnel mit Terminal C verbunden ist.[1][2][14][15]

Hauptterminal

Im Hauptterminal sind alle zentralen Funktionen zusammengefasst: Ticketschalter, Gepäckausgabe sowie Zoll- und Grenzabfertigung. Es gibt vier als „Z-Gates“ bezeichnete Flugsteige, welche von Air Canada und United Airlines genutzt werden. 1991 wurde ein Gebäude für internationale Ankünfte eröffnet. Von 1992 bis zum 1. Oktober 1996 wurde das Hauptterminal erweitert. Am 1. August 2005 wurden die Z-Flugsteige eröffnet. Zu Beginn gab es noch fünf Z-Flugsteige, mittlerweile wurde die Zahl jedoch auf vier reduziert.[1][2]

Midfield Concourses

Die Midfield-Concourses A und B sowie C und D teilen sich jeweils ein Gebäude.

Concourse A hat 43 Flugsteige, meistens für Standardrumpfflugzeuge. Der Concourse A wurde am 2. Mai 1999 eröffnet. Zu Beginn konnten 36 Regionalflugzeuge abgefertigt werden.

Concourse B hat 32 Flugsteige. Mit dem Concourse B wurde 1998 der erste permanente Concourse eröffnet, er verfügte zu Beginn über 20 Flugsteige. 2003 wurde der Flughafen auf 27 Flugsteige erweitert. Eine Erweiterung des Concourse B um 15 Flugsteige eröffnete am 15. Januar 2008.

Concourse C und D haben 22 beziehungsweise 24 Flugsteige und werden hauptsächlich von United Airlines genutzt. Der Concourse C/D wurde 1985 eröffnet. Im Jahr 1998 wurde in Concourse C ein Bereich für internationale Ankünfte eingerichtet, um internationalen Passagieren das Umsteigen auf Inlandsflüge von United Airlines zu ermöglichen.[1][2]

Frachtterminals

Die Luftfracht wird in sieben Gebäuden mit einer Fläche von insgesamt 50.168 Quadratmetern abgefertigt.[2]

Fluggesellschaften und Ziele

Ziele der Fluggesellschaften (englisch)

Der Washington Dulles International Airport dient United Airlines und United Express als Drehkreuz. Er wird von 46 Passagierfluggesellschaften angeflogen.[16] Zusätzlich befördern 36 Fluggesellschaften Luftfracht.[17]

Vom Washington Dulles International Airport gab es im August 2025 Direktflüge zu 92 nationalen und 57 internationalen Zielen. Das internationale Streckennetz umfasst Linienflüge nach Afrika, Asien, Europa, Nordamerika und Südamerika. Im deutschsprachigen Raum werden Frankfurt, München, Wien und Zürich angeflogen.[18]

Konkurrierende Flughäfen

Verkehrszahlen

Quelle: Metropolitan Washington Airports Authority[3]
Quelle: Metropolitan Washington Airports Authority[3]
Verkehrszahlen des Washington Dulles International Airport 1962–2024[3][A 1][A 2][A 3]
Jahr Fluggastaufkommen Luftfracht (Tonnen) Luftpost (Tonnen) Flugbewegungen
National International Sonstiges Gesamt
2024 16.604.949 10.364.179 284.959 27.254.087 212.810 11.606 263.011
2023 15.560.876 9.333.677 240.774 25.135.327 200.553 12.645 252.389
2022 13.872.241 7.353.585 151.070 21.376.896 211.226 14.870 234.958
2021 13.975.797 55.068 13.959 14.044.824 197.843 27.607 171.904
2020 6.201.103 2.008.512 123.845 8.333.460 188.626 9.290 151.472
2019 16.324.990 8.361.246 131.441 24.817.677 261.707 11.678 288.364
2018 15.918.147 7.991.703 166.787 24.076.637 283.447 17.114 274.283
2017 14.971.813 7.744.583 176.105 22.892.501 281.851 17.523 264.780
2016 14.348.729 7.476.860 154.778 21.980.367 251.379 14.702 265.025
2015 14.315.697 7.183.205 151.644 21.650.546 248.754 13.434 269.070
2014 14.245.111 7.175.274 151.848 21.572.233 257.317 11.396 289.382
2013 14.812.076 6.984.250 150.739 21.947.065 237.715 15.646 307.816
2012 15.734.574 6.674.843 153.416 22.562.833 259.872 8.060 312.078
2011 16.511.920 6.544.371 155.565 23.211.856 291.257 11.509 327.495
2010 17.067.043 6.380.134 150.049 23.597.226 322.995 9.280 336.531
2009 16.827.490 6.246.175 139.676 23.213.341 282.686 10.083 340.367
2008 17.468.892 6.234.837 173.051 23.876.780 320.604 13.240 360.292
2007 18.582.990 5.942.497 212.041 24.737.528 348.135 10.484 382.943
2006 17.584.834 5.227.811 207.717 23.020.362 338.391 12.435 379.571
2005 21.926.743 4.916.179 209.196 27.052.118 288.879 14.133 509.652
2004 18.011.495 4.645.522 211.835 22.868.852 296.298 14.378 469.634
2003 12.751.265 4.016.502 182.614 16.950.381 267.517 17.835 335.397
2002 13.000.016 4.075.949 159.198 17.235.163 304.003 20.869 372.636
2001 13.916.798 3.944.450 141.071 18.002.319 288.194 42.720 396.886
2000 15.790.000 4.181.260 133.433 20.104.693 321.687 62.165 456.436
1999 16.054.958 3.742.371 - 19.797.329 293.658 65.570 465.195
1998 12.444.662 3.301.680 - 15.746.342 295.661 58.891 382.184
1997 10.697.389 3.060.472 - 13.757.861 292.538 57.789 339.564
1996 10.095.340 2.798.688 - 12.894.028 253.806 55.508 322.969
1995 9.652.858 2.790.799 - 12.443.657 240.116 51.860 308.144
1994 8.946.588 2.744.198 - 11.690.786 229.880 46.737 284.880
1993 8.500.717 2.486.474 - 10.987.191 192.145 48.086 267.837
1992 9.408.027 2.122.802 - 11.530.829 153.689 44.138 276.666
1991 9.406.407 1.555.921 - 10.962.328 127.173 36.684 264.579
1990 9.042.829 1.395.260 - 10.438.089 134.214 40.677 242.209
1989 9.224.290 1.174.801 - 10.399.091 117.974 38.986 224.885
1988 8.649.910 1.036.727 - 9.868.637 130.622 35.855 230.973
1987 9.980.145 970.065 - 10.950.211 94.477 31.692 289.167
1986 8.394.046 737.849 - 9.131.895 60.166 25.804 278.307
1985 4.538.446 698.831 - 5.237.277 47.969 21.800 208.333
1984 3.136.247 419.524 - 3.555.771 45.456 17.206 174.099
1983 2.651.147 368.642 - 3.019.789 36.740 15.448 165.000
1982 2.247.602 362.331 - 2.609.933 26.025 15.630 148.964
1981 1.888.556 436.029 - 2.324.585 23.966 18.022 155.348
1980 2.086.214 538.184 - 2.624.398 24.829 21.495 165.420
1979 2.857.578 667.476 - 3.525.054 33.026 21.833 172.974
1978 2.518.207 671.747 - 3.189.954 34.146 20.829 177.121
1977 2.267.313 600.469 - 2.867.782 32.071 17.346 186.391
1976 2.251.090 590.405 - 2.841.495 30.763 13.714 187.720
1975 2.000.486 527.921 - 2.528.407 30.880 14.961 177.673
1974 2.004.265 552.945 - 2.557.210 31.148 16.440 184.701
1973 2.083.104 561.889 - 2.644.993 26.346 13.772 204.048
1972 1.992.426 487.174 - 2.479.600 23.334 12.760 208.972
1971 1.881.330 363.979 - 2.245.309 21.581 13.073 194.647
1970 1.869.194 288.269 - 2.157.463 17.659 13.470 184.226
1969 1.928.139 248.063 - 2.176.202 16.787 14.525 224.295
1968 1.602.370 171.372 - 1.773.742 13.083 14.315 213.610
1967 1.427.471 137.141 - 1.564.612 11.808 8.515 212.153
1966 1.078.611 96.114 - 1.174.725 10.943 4.613 181.793
1965 920.431 74.018 - 994.449 10.593 4.271 158.883
1964 728.092 54.158 - 782.250 7.384 3.272 131.726
1963 640.506 26.053 - 666.559 6.057 2.921 131.726
1962 52.846 0 - 52.846 436 289 8016
  1. Das sonstige, nicht kommerzielle Fluggastaufkommen enthält General Aviation und Militär. Bis 1999 sind die jeweiligen Anteile noch beim nationalen und internationalen Fluggastaufkommen enthalten.
  2. Von 1962 bis 1971 enthält das Fluggastaufkommen auf nationalen Flügen internationale militärische Passagiere.
  3. Von 1972 bis 1988 enthält das Fluggastaufkommen auf internationalen Flügen militärische Passagiere.

Verkehrsreichste Strecken

Verkehrsreichste nationale Strecken ab Washington–Dulles (2024)[19][20]
Rang Stadt Passagiere Fluggesellschaft
01 Denver, Colorado 576.320 Southwest, United
02 San Francisco, Kalifornien 490.480 Alaska, United
03 Los Angeles, Kalifornien 464.750 Alaska, United
04 Atlanta, Georgia 382.570 Delta, Frontier, United
05 Seattle/Tacoma, Washington 313.610 Alaska, Delta, United
06 San Diego, Kalifornien 268.350 Alaska, United
07 Orlando, Florida 256.230 Frontier, United
08 Houston–Intercontinental, Texas 249.060 United
09 Chicago–O’Hare, Illinois 239.870 United
10 Dallas/Fort Worth, Texas 237.010 American, United

Zwischenfälle

Von 1945 bis Februar 2020 kam es am Flughafen Washington Dulles und in seiner näheren Umgebung zu 11 Totalschäden von Flugzeugen. Dabei kamen 201 Menschen ums Leben.[21] Auszüge:

Commons: Washington Dulles International Airport – Sammlung von Bildern, Videos und Audiodateien

Einzelnachweise

  1. a b c d e History. FlyDulles.com, abgerufen am 13. April 2019 (englisch).
  2. a b c d e f g h Airport Overview. FlyDulles.com, abgerufen am 11. September 2022 (englisch).
  3. a b c d e f Dulles Air Traffic Statistics. MWAA.com, abgerufen am 14. August 2025 (englisch).
  4. 2012 Economic Impact Study. FlyDulles.com, abgerufen am 19. Juli 2018 (englisch).
  5. North America Airport Traffic Report. AirportsCouncil.org, abgerufen am 14. August 2025 (englisch).
  6. Dulles Airport Metrorail Station. In: flydulles.com. Metropolitan Washington Airports Authority, abgerufen am 30. November 2022 (englisch).
  7. Cost to Ride. WMATA, abgerufen am 30. November 2022 (englisch).
  8. Fairfax Connector. Fairfax County, abgerufen am 30. November 2022 (englisch).
  9. Other Transportation Options. In: flydulles.com. Metropolitan Washington Airports Authority, abgerufen am 30. November 2022 (englisch).
  10. Ride App Pickup. In: flydulles.com. Metropolitan Washington Airports Authority, abgerufen am 30. November 2022 (englisch).
  11. Jason Rabinowitz @airlineflyer: Just following up again with the ask of what passengers are supposed to do to get into DC if they miss that lat 10:53p train? The 5A bus had a final departure at 11:35p, so the Silver Line is actually a reduction in service in that regard. In: Twitter. 18. November 2022, archiviert vom Original am 30. November 2022; abgerufen am 30. November 2022 (englisch).
  12. AirportIQ 5010: Washington Dulles International. GCR1.com, abgerufen am 20. Januar 2020 (englisch).
  13. D2 Projects: Future Fifth Runway. MWAA.com, abgerufen am 20. Januar 2020 (englisch).
  14. D2 Projects: Future AeroTrain System. MWAA.com, abgerufen am 20. Januar 2020 (englisch).
  15. Airport and Terminal Maps. FlyDulles.com, abgerufen am 20. Januar 2020 (englisch).
  16. Airlines Serving Dulles International. FlyDulles.com, abgerufen am 14. August 2025 (englisch).
  17. Cargo Directory. MWAA.com, abgerufen am 14. August 2025 (englisch).
  18. Nonstop Destinations. FlyDulles.com, abgerufen am 14. August 2025 (englisch).
  19. Washington, DC: Washington Dulles International (IAD). Transtats.BTS.gov, abgerufen am 14. August 2025 (englisch).
  20. Arrivals and Departures. FlyDulles.com, abgerufen am 14. August 2025 (englisch).
  21. Flughafendaten im Aviation Safety Network (englisch), abgerufen am 22. März 2020.
  22. Flugunfalldaten und -bericht der B-727-200 N54328 im Aviation Safety Network (englisch), abgerufen am 23. Juni 2020.