Villa Iwan Rosenthal








Die Villa Iwan Rosenthal (auch: Villa Franziska und Iwan Rosenthal) in Hohenems, Vorarlberg, Österreich wurde in der heute bestehenden Grundform 1890 gestaltet. Die Villa steht unter Denkmalschutz (Listeneintrag) und befindet sich am Nordrand des ehemaligen jüdischen Viertels von Hohenems. Die Villa wurde von 2021 bis 2025 saniert und wird seitdem durch das Literaturhaus Vorarlberg genutzt,[1] die Eröffnung des Literaturhauses fand am 5. April 2025 statt.[2]
Geschichte
Das Grundstück, auf dem der heutige Gebäudekomplex steht, war bereits zuvor bebaut, und noch bestehende Teile gehen auf das 17. Jahrhundert zurück. Die Gebäude wurden immer wieder umgestaltet, ergänzt und renoviert. 1807 kaufte Josef Rosenthal (1805–1862)[3] die benachbarte Poststation vom Postmeister Karl Josef Waibel und der Sohn von Josef Rosenthal, August,[4] errichtete 1823 ein Bürgerhaus an derselben Stelle. Iwan (Isak, 1842–1929) und Franziska (1853–1931, geb. Brettauer) Rosenthal[5] ließen 1890 das Anwesen sehr weitgehend umgestalten und schufen einen zusammenhängenden Baukörper. Durch die dazwischenliegende Kegelbahn wurde das Herrschaftshaus mit der Kutschengarage / Angestelltentrakt / Ökonomiegebäude verbunden.[6][7]
Iwan (Isak) und Franziska Rosenthal verzogen 1914 nach Wien und nutzten das Haus danach nur noch zeitweise. Nach deren Tod erbte die Nichte Amalie Hess (1883–1966)[8] die Villa, die sie 1938 im Zuge der Arisierung und ihrer Flucht vor den Nationalsozialisten an den Zahnarzt Hans Schebesta verkaufen musste.[9] Nach dem Zweiten Weltkrieg lebten Displaced Persons in der Villa, noch etwas später wurde sie als Arbeiterunterkunft genutzt. Das Hauptgebäude steht seit vielen Jahren leer.
1988 wurde die Villa unter Denkmalschutz gestellt. Kurz zuvor noch wurden einige Türen und Fenster ausgewechselt, die bis heute einen gravierenden Stilbruch darstellen.
Seit dem frühen 21. Jahrhundert bestanden Bestrebungen, die Villa zu renovieren und einer neuen Nutzung zuzuführen, jedoch dauerte es lange, bis hierzu eine Einigung gefunden wurde. Nach Jahrzehnten, in denen die Villa der Öffentlichkeit nicht zugänglich war, wurde diese vom 18. bis 20. Mai 2018 erstmals geöffnet.[10]
Bauwerke
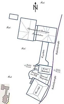
Die Villa Iwan Rosenthal steht in Hohenems am Kreuzungspunkt dreier Straßen: der Harrachgasse, der Marktstraße und der Radetzkystraße. Die Anschrift des Hauptgebäudes ist Radetzkystraße 1. Vis-à-vis der Kegelbahn mündet die Erlachstraße in die Radetzkystraße. Der gesamte Gebäudekomplex ist weitgehend von Süden (Hauptgebäude) nach Norden (Kutscherhaus/Ökonomiegebäude) ausgerichtet und das Grundstück umfasst im Gesamten etwa 8000 m², wobei der Großteil der Fläche auf den Park entfällt. Das Grundstück selbst ist Teil der Parzelle Benzersfeld und ist im Verhältnis zum umgebenden Terrain niveaugleich.
Das Hauptbauwerk mit dem Herrschaftshaus befindet sich im Süden und ist ein Herrschaftshaus aus drei Trakten. Daneben bestehen im Norden zwei Wirtschaftsgebäude und eine Kegelbahn, die diese Trakte verbindet. Die Architekten für den Umbau 1890 waren Alfred Chiodera und Theophil Tschudy aus Zürich.
Stil und Ausstattung
Die Villa sollte das Ansehen, den Reichtum und die Macht der Fabrikantenfamilie repräsentieren und wurde in einer Art neoklassizistischen/barocken Stil errichtet. Es handelt sich um eine gründerzeitliche Bauausführung einer angesehenen Industriellenfamilie und der Villa kommt neben der geschichtlichen und künstlerischen auch eine besondere kulturelle Bedeutung zu.
Die Villa war für die damalige Zeit modern ausgestattet. Die große Parkanlage ist ein weiteres deutliches Merkmal für ein Herrschaftsanwesen.
Baukörper
Haupttrakt
Der dreigeschoßige fünfachsige Haupttrakt (Herrschaftshaus) mit Dachstock ist kubusförmig und mit Walm- und Kreuzgiebeldach. Die Eingangspartie weist klassizistische Elemente auf und der Eingang zum Haupttrakt ist mit einem Balkon geschützt. Den Balkon umrahmt ein barockisierendes Schmiedeeisengitter. Die beiden Obergeschoße werden durch Eckpilaster eingerahmt. Straßenseitig sind die Fenster in Sandsteinrahmen, welche im 1. Obergeschoß mit segmentbogenförmigen bzw. dreieckgiebeligen Fensterverdachungen versehen sind. Der straßenseitige Zwerchgiebel ist mit einem halbkreisförmigen Fenster ausgestattet.
An den Haupttrakt schließt unmittelbar ein zweigeschoßiger Zwischentrakt an. In diesem befindet sich das straßenseitige Stiegenhaus mit dem großen, imposanten und für das Gebäude markanten Glasfenster, ein kleiner Saal im Erdgeschoß und im 1. Obergeschoß ein Esszimmer mit Blick auf den Park. Dieses Segmentbogenfenster wird durch weitere Pilaster flankiert. Darüber befindet sich ein Dreieckgiebel mit Rundfenster. Der Gebäudegrundriss des Zwischentraktes ist trapezförmig. Zur Radetzkystraße hin gerade ausgeführt, zum Park mit einer halbrunden (konvexe) Ausbuchtung.
Der dreigeschoßige Nebentrakt (3. Baukörper) ist schmaler ausgeführt mit einem abgeflachten Walmdach. Durch das hier befindliche Korbbogenportal mit Sandsteingewände wurde ursprünglich mit der Kutsche eingefahren und es konnte im Haus wettersicher ein- und ausgestiegen werden. Im Obergeschoß befindet sich unter anderem eine Küche.
Segmentbogenfenster im Stiegenhaus
Das den ganzen Baukörper dominierende Segmentbogenfenster zeigt in der Mitte eine weibliche Figur mit einem Spinnrocken in der rechten und einer Spindel in der linken Hand und einem Bienenkorb zu Füßen. Dies symbolisiert das Weberhandwerk, die Haupttätigkeit der Familie Rosenthal, und den Fleiß. In den Seitenfenster wird in Form von Rosenranken auf den Erbauer, Rosenthal, hingewiesen. Im Segmentfenster oberhalb der Figur finden sich die Initialen JFR in einer Rosette.
Gemalte Putten mit Wappenkartusche schmücken die Seitenwände des Stiegenhauses.
Stiegenhaus
Die Stiegenhaustreppe ins Obergeschoß, die sich in halber Geschoßhöhe nach links und rechts teilt, ist reich verziert. Gegenüber dem Segmentbogenfenster befindet sich aus dem Treppenpodest des Obergeschoßes heraustretend eine kanzelartige Ausbuchtung mit barockisiert-geschnitztem Dekor.
Diese kanzelartige Ausbuchtung trägt eine Wappenkartusche in der Mitte, eingerahmt von zwei Pilastern mit Volute. In der Wappenkartusche sind die Initialen J.F.R. zu sehen, die vermutlich für Isak (Iwan) und Franziska Rosenthal stehen. Seitlich davon ist das Datum 1890 eingeschnitzt.
Obergeschoß des Zwischentrakts
Das Obergeschoß des Zwischentrakts ist der repräsentative Teil der Villa. Dies wird bereits im Stiegenhaus deutlich und setzt sich im Obergeschoßflur fort, in dem die Wände und im Bereich der Türen mit kunstvoll ausgeführte Holzverkleidung zu sehen sind. In der Mitte der Decke des Obergeschoßflures ist ein Gemälde mit Putten im Wolkenhimmel. Von diesem Obergeschoßflur öffnet sich für den Gast der Zugang zum prunkvoll geschnitzten Esszimmer mit weitem Blick auf den Park sowie den Wintergarten (rechts) und das Musikzimmer (links). Alle Räume weisen hochwertige kunsthandwerkliche Holz- und Tapetenverkleidungen auf.
Kegelbahn
Haupt- und Nebengebäude werden durch einen ebenerdigen Baukörper mit Flachdach verbunden, der ursprünglich als Kegelbahn diente und dessen Einrichtung noch vorhanden ist. Zur Straßenseite ist der Baukörper gemauert und mit Halbrundbogenfenstern versehen. Zur Parkseite ist der Baukörper als verglaste Holzkonstruktion ausgeführt.
Der Stil der Kegelbahn im Inneren ist in Anlehnung an japanische Vorbilder gestaltet (wohl zusammenhängend mit der zu dieser Zeit erfolgten Öffnung Japans). Die kunsthandwerklich bedeutsame Holzdecke im Inneren der Kegelbahn ist teilweise in Laubsägetechnik ausgeführt, mit dekorativen Holzelementen. Die Wände sind mit figürlichen und ornamentalen Malerei versehen.
Wirtschaftstrakt
Nördlich an die Kegelbahn angebaut und der letzte Teil des Baukörpers sind das ehemalige Bedienstetenhaus und der Wirtschaftstrakt samt Remise. Diese sind im Erdgeschoß gemauert und im Obergeschoß mit Fachwerken ausgestaltet. Die Remise verbindet dabei die beiden nördlichen Hauptgebäude. Ornamentaler Dekor in Sgraffitotechnik hebt die verputzten Außenwände hervor. Beide Gebäude sind mit Kreuzgiebeldächern versehen.[11]
Trivia
Im Sommer 2020 fanden hier Dreharbeiten für den Fernsehfilm Die Toten vom Bodensee – Der Wegspuk statt.[12][13]
Weblinks
- Familientafel der Familie Iwan (Isak) Rosenthal, Genealogiedatenbank Jüdisches Museum Hohenems
Einzelnachweise
- ↑ Literaturhaus Vorarlberg. Abgerufen am 4. August 2020.
- ↑ Erstes Literaturhaus in Vorarlberg eröffnet. In: vorarlberg.ORF.at. 5. April 2025, abgerufen am 6. April 2025.
- ↑ Vater: Urban Veit Levi (1765–1826), er nannte sich ab 1813 Rosenthal und handelte mit Leinwand, Leinwandmischgeweben und Leder, später auch mit Baumwollstoffen, vor allem in Südtirol und Italien. Mutter: Sophie, Bruder: Philipp (1801–1859). Siehe: Die Gebrüder Rosenthal, Vorarlberg Chronik.
- ↑ 1789–1865, August (David) Rosenthal (Levi), Genealogiedatenbank Jüdisches Museum Hohenems.
- ↑ Isak (Iwan) Rosenthal, Genealogiedatenbank Jüdisches Museum Hohenems.
- ↑ Villa Franziska und Iwan Rosenthal, Webseite Vorarlberg Tourismus GmbH.
- ↑ Jessica E. Piper (Rosenthal): The Other Rosenthal Villa, Webseite jüdisches Museum Hohenems.
- ↑ Amalie (Amelie) Hess, Genealogiedatenbank Jüdisches Museum Hohenems.
- ↑ Villa Franziska und Iwan Rosenthal, Webseite Vorarlberg Tourismus GmbH.
- ↑ Emsiana 2018.
- ↑ Markus Duschek: Villa Franziska und Iwan Rosenthal, Austria Wiki.
- ↑ "Die Toten vom Bodensee" drehen in Hohenems. In: VOL.at. 18. Juni 2020, abgerufen am 7. Dezember 2020.
- ↑ „Die Toten vom Bodensee“: Dreharbeiten in Hohenems. In: VOL.at. 18. Juni 2020, abgerufen am 7. Dezember 2020.
Koordinaten: 47° 21′ 58,9″ N, 9° 41′ 19,9″ O