Sutterville

Sutterville (auch: Sutter,[1] Sutter City oder Suttersville) ist eine in der Stadt Sacramento, Kalifornien aufgegangene Siedlung.
Geschichte
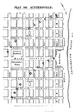
Zentrum von Neu-Helvetien war Sutter’s Fort etwa 4 Kilometer südöstlich der Mündung des American River in den Sacramento River und etwa 2 Kilometer vom Ufer des American River entfernt. Die für den Aufbau und die Versorgung von Neu-Helvetien benötigten Güter kamen von Yerba Buena (San Francisco) und wurden etwa 2 Kilometer südlich der Mündung des American River am Ostufer des Sacramento angelandet, weshalb die Stelle Embarcadero genannt wurde. Bis dorthin kamen damals hochseegängige Schiffe. Im Gebiet, das zwischen den beiden Flüssen lag, hatte Sutter noch landwirtschaftliche Anwesen errichtet. Einige Kilometer südlich der Landungsstelle waren die Schaf- und Schweinefarm angelegt. Johann August Sutter bekundete in einem Brief vom Januar 1845 seine Absicht, dort eine Stadt zu gründen, die er Montezuma nennen wollte.[2] Sutter legte später den Platz für die Stadtgründung noch etwas näher an Embarcadero (etwa 4 Kilometer südlich der Landungsstelle) und Fort (etwa 4 Kilometer südwestlich des Forts) und wählte den Namen Suttersville. Im Januar 1846 erstellten Lansford W. Hastings und John Bidwell den Entwurf für einen Stadtplan[3] und erhielten eine Anzahl von Grundstücken – Hastings die ganze Nordhälfte, so dass er der größte Grundbesitzer in Sutterville wurde. 1847 wurde in Sutterville der erste Backsteinbau Kaliforniens errichtet. 1848 wurde das Columbia Hotel erbaut.
Im Januar 1849 begann der Verkauf von Grundstücken in Sacramento, einer neu geplanten Stadt zwischen Embarcadero und Fort. Auf Initiative von Sam Brannon verkaufte hier Johann August Sutter jun. Grundstücke, um die Schulden seines Vaters zu tilgen. In diesem Jahr blieb die sonst übliche Überschwemmung des Gebietes aus, und der Verkauf der Grundstücke zu hohen Preisen boomte.
Die erzielbaren Grundstückspreise führten 1849 zu einem Kampf zwischen verschiedenen Gruppen von Grundstücksspekulanten. Neben anderen versuchte der spätere Gouverneur John McDougal Sutterville auf Kosten von Sacramento zu entwickeln. Die beiden in Gründung befindlichen Städte bzw. deren Investorengruppen versuchten sich gegenseitig die Handelsniederlassungen abzuwerben und verschenkten gezielt Grundstücke. Der Grundriss von Sutterville wurde auf dem Papier mehrfach erheblich erweitert und der Name von Sutterville auf Sutter geändert.[4]
Im Winter 1849/50 erlitt Sacramento Flutschäden, worauf man im März 1850 das Konzept für ein Deichsystem vorstellte. Sutterville versuchte nun seine Vorteile auf erhöhtem Grund gegen den überspülten Rivalen Sacramento auszuspielen. Andererseits benötigte Sutterville bessere Entlademöglichkeiten für Schiffe und die Aufschüttung eines Sumpfgebiets. Sacramento wurde wieder trocken, und Sutterville trocknete im Herbst 1850 fast vollständig aus – wenige Häuser und eine Ziegelei verblieben. Nach einer weiteren Überflutung Sacramentos 1853 unternahmen die Landbesitzer von Sutter(ville) einen neuen Versuch, ihre Stadt aufzubauen und Firmen aus Sacramento abzuwerben, was wiederum nicht gelang. Im Winter 1861 wiederholte sich die Situation, aber Sutterville hatte keine Chance mehr.
Von 1855 bis 1860 hatte die Siedlung eine Poststelle. 1861 wurde in Sutterville Camp Union errichtet, das als Ausbildungslager für jeweils etwa 300 Freiwillige der Unionsarmee diente und 1862 wurde im Vance Brick Building eine Brauerei eröffnet. Ausbildungslager und Brauerei wurden Ende des Jahrzehnts geschlossen. 1868 hatte Sutterville noch etwa 100 Einwohner.
Sutterville ist seit 1957 ein California Historical Landmark, das durch eine Gedenktafel markiert ist.[5]
Welcher Sutter gründete welche Stadt?
Johann August Sutter initiierte die Gründung von Sutterville. Die Gründung der Stadt Sacramento wird ihm ebenfalls oft zugeschrieben, was aber nicht korrekt ist. Wohl hat er Sutter’s Fort bauen lassen, das heute ebenfalls zu Sacramento gehört, aber Sacramento City hat seine Existenz Sutters ältestem Sohn Johann August Sutter jun. zu verdanken. Der Junior war im September 1848 in Fort Sutter angekommen und der Vater hatte ihm im Oktober sein Vermögen übertragen, um es dem Zugriff der Russisch-Amerikanischen Gesellschaft zu entziehen, die den Kaufpreis für Fort Ross durch den Zugriff auf Neu-Helvetien eintreiben wollte. Sutter jun. erkannte rasch, dass die zu Tausenden einströmenden Zuwanderer die Grundstücke um Fort Sutter als Squatter besetzen würden, wenn er sie nicht absicherte. Da er zudem dringend Geld benötigte, um die Schulden des Vaters zu begleichen, ging er gerne und rasch auf den Vorschlag von Sam Brannon ein, die Grundstücke zwischen Embarcadero und Fort zu verkaufen. Da sein Vater sich wieder ins Minengebiet begeben hatte und sich dem Alkohol hingab, war eine Absprache mit ihm nicht möglich, und so begründete der Sohn die Konkurrenz zur schwebenden Stadtgründung des Vaters. Dessen „Freunde“ bearbeiteten nun Sutter sen., um ihre Bodenspekulation zu sichern, und trieben damit einen Keil zwischen Vater und Sohn. Sutter sen. war also nicht der Gründer von Sacramento City, sondern ein heftiger Gegner dieser Gründung.[6]
Literatur
- Ernest Emanuel Lehr: Sutterville : the unsuccessful attempt to establish a town safe from Floods, 2016 online
- G. Walter Reed: History of Sacramento County, California Google-Digitalisat
- Winfield J. Davis: An illustrated history of Sacramento County, California. Containing a history of Sacramento County from the earliest period of its ocupancy to the present time. Chicago, The Lewis Publishing Company 1890 archive.org
- Mark A. Eifler: Gold Rush Capitalists: Greed and Growth in Sacramento, Albuquerque 2002 [1]
- Albert L. Hurtado: John Sutter. A Life on the North American Frontier. University of Oklahoma Press, Norman OK 2006, ISBN 0-8061-3772-X im Internet Archive ausleihbar
Weblinks
- Plan von Sutterville auf calisphere
- Lithografie von Sutterville und weitere Bilder auf calisphere
- Sutterville – Office of Historic Preservation Nr. 593
- Foto der Gedenktafel der Landmark mit gesonderter und lesbarere Anzeige des Textes; abgerufen am 15. April 2020
Einzelnachweise
- ↑ Walter Colton: Three years in California, New York 1851, S. 416 Internet Archive
- ↑ siehe Lehr S. 10.
- ↑ siehe John Bidwell: Echoes of the Past about California. Chico o. J, S. 56 im Internet Archive
- ↑ siehe Lehr S. 48.
- ↑ Office of Historic Preservation Nr. 593
- ↑ siehe hierzu Hurtado S. 245ff.
Koordinaten: 38° 32′ 45″ N, 121° 30′ 30″ W