Pazifische Hurrikansaison 2008
![]() Alle Stürme der Saison | |
| Bildung des ersten Sturms |
29. Mai |
|---|---|
| Auflösung des letzten Sturms |
4. November |
| Stärkster Sturm | Norbert – 945 hPa (mbar), 115 kn (213 km/h) – Ostpazifik Kika – 1007 hPa (mbar), 35 kn (65 km/h) – Zentralpazifik |
| Tropische Tiefs | 19 |
| Stürme | 17 |
| Hurrikane | 7 |
| Schwere Hurrikane (Kat. 3+) | 2 |
| Opferzahl gesamt | 15 direkte, 8 indirekte |
| Gesamtschaden | 767,1 Millionen $ (2008) |
| Pazifische Hurrikansaison 2006, 2007, 2008, 2009, 2010 | |
Die pazifische Hurrikansaison 2008 begann im östlichen Pazifik offiziell am 15. Mai und im Zentralpazifik am 1. Juni; sie endete am 30. November. Innerhalb dieser Periode bilden sich die meisten Tropischen Stürme, da nur zu dieser Zeit geeignete Bedingungen existieren, wie etwa ein warmer Ozean, feuchte Luft und wenig Windscherung, um die Bildung von Tropischen Wirbelstürmen zu ermöglichen. Alle Stürme, die sich nördlich des Äquators und östlich von 180°W bilden gehören zu diesem Basin. Stürme, die sich weiter westlich bilden werden nicht mehr Hurrikane, sondern Taifune genannt.
Obwohl das pazifische Hurrikanbasin, nach dem Westpazifik, das zweitaktivste Basin der Welt ist, bedrohen die meisten Stürme kein Land, da sie meistens auf den offenen Ozean heraussteuern. Nur wenige Stürme machen eine Kurve nach Osten oder Nordosten und bedrohen dann vor allem die mexikanische Küste.
Stürme im Atlantischen Ozean siehe im Artikel: Atlantische Hurrikansaison 2008.
Saisonprognose
| Quelle | Datum | Stürme |
Anzahl der Hurrikans |
Kat. 3+ |
| NOAA | Durchschnitt[1] | 15,3 | 8,8 | 4,2 |
| NOAA[2] | 22. Mai 2008 | 11–16 | 5–8 | 1–3 |
| Stärkste Aktivität | 27 | 16 | 9 | |
| Niedrigste Aktivität | 8 | 4 | 0 | |
| –––––––––––––––––––––––––––––––––––––– | ||||
| Tatsächliche Aktivität | 17 | 7 | 2 | |
Am 22. Mai 2008 gab die NOAA ihre Saisonprognose für die Hurrikansaison im östlichen und mittleren Pazifischen Ozean bekannt. Demnach wurde eine unterdurchschnittliche Saison erwartet, im östlichen Pazifik mit 11 bis 16 benannten Stürmen, davon 5 bis 8 Hurrikane, von den einer bis drei den Status eines schweren Hurrikans erreichen sollten.[2]
Für den mittleren Pazifik wurde ebenfalls eine leicht unterdurchschnittliche Saison erwartet. Demnach sollten drei bis vier tropische Wirbelstürme das Gebiet zwischen dem 140. und 180. Grad westlicher Länge durchqueren oder sich dort bilden.[3]
Stürme
Tropischer Sturm Alma
| Tropischer Sturm | |||
|---|---|---|---|
| |||
| Dauer | 29. Mai – 30. Mai | ||
| Intensität | 55 kn (100 km/h) (1-minütig), 994 hPa | ||
- → Hauptartikel: Tropischer Sturm Alma
Am 27. Mai bildete sich südwestlich von Nicaragua ein Tiefdruckgebiet,[4] das sich intensivierte und tropische Eigenschaften entwickelte. Am 29. Mai um 3:00 Uhr UTC erklärte das National Hurricane Center in Miami, Florida das System zum Tropischen Tiefdruckgebiet Eins-E. Nachdem das Gebiet zunächst in östlicher Richtung dahindümpelte, legte sich das NHC wegen eines im südlichen Golf von Mexiko vorhandenen Hochdruckrückens auf eine nördliche Zugbahn fest.[5] Nachdem sich die Wolkenmuster auf den Satellitenaufnahmen besser ausgebildet hatten, stufte das NHC das System um 15:00 Uhr UTC zum ersten benannten tropischen Wirbelsturm der pazifischen Hurrikansaison hoch.[6]
Gegen 14 Uhr Ortszeit (PDT – 21 Uhr UTC) erreichte Alma mit einer Windgeschwindigkeit von 100 km/h das Festland bei León im nördlichen Abschnitt der Pazifikküste Nicaraguas in der Phase ihrer größten Intensität.[4] Dabei verursachte Alma Überschwemmungen in Nicaragua und Costa Rica. Gegen Morgen des 30. Mai Ortszeit schwächte sich Alma über den Bergen von Honduras ab und löste sich vollständig auf.[7]
Der Sturm tötete insgesamt neun Personen, sieben davon indirekt, die beiden direkten Opfer verloren ihr Leben in León.[4] In León fielen Strom- und Telefonversorgung aus.[8] Rund 700 Häuser wurden in Mitleidenschaft gezogen und 4000 Menschen zeitweise evakuiert.[9][10] Das Resttief gelangte in den Golf von Honduras und trug dort zur Entwicklung des Tropischen Sturms Arthur bei.[4][11]
- Archive des NHCs zu Tropischer Sturm Alma (englisch).
Hurrikan Boris
| Kategorie-1-Hurrikan | |||
|---|---|---|---|
| |||
| Dauer | 27. Juni – 4. Juli | ||
| Intensität | 70 kn (130 km/h) (1-minütig), 985 hPa | ||
Südwestlich von Zentralamerika bildete sich Ende Juni eine Tiefdruckzone. Am 27. Juni um 02:00 Uhr PDT (09:00 Uhr UTC) hatte sich über dem warmen Wasser südlich von Niederkalifornien die Konvektion soweit entwickelt, dass das NHC das System als tropisches Tiefdruckgebiet klassifizierte.[12] Das tropische Tiefdruckgebiet konnte sich daraufhin, in einem Gebiet mit warmen Wassertemperaturen und geringer Windscherung rasch in einen tropischen Sturm verstärken. Nachdem der Sturm 48 Stunden lang diese Intensität gehalten hatte, begann er, ein Augenmerkmal aufzubauen und verstärkte sich am 29. Juni in einen starken tropischen Sturm.[13] und am 1. Juli erreichte Boris die Stärke eines Hurrikans,[14] der mit Windgeschwindigkeiten von 130 km/h seine größte Stärke erreichte.[15] Kurz darauf gelangte Boris über kühleres Wasser und schwächte sich ab. Einen Tag später stellte das NHC fest, dass sich Boris in ein Resttief aufgelöst hatte.[16]
- NHC-Archiv zu Hurrikan Boris (englisch)
- Tropical Cyclone Report des NHC zu Hurrikan Boris (PDF, englisch; 198 kB)
Tropischer Sturm Cristina
| Tropischer Sturm | |||
|---|---|---|---|
| |||
| Dauer | 27. Juni – 30. Juni | ||
| Intensität | 45 kn (85 km/h) (1-minütig), 999 hPa | ||
Nur wenige Stunden nach Boris klassifizierte das National Hurricane Center einige hundert Kilometer weiter westlich auf dem offenen Ozean das dritte tropische Tiefdruckgebiet der Saison. Das System verstärkte sich am nächsten Tag zum Tropischen Sturm Cristina. Dieser blieb auf seinem westwärts gerichteten Kurs schwach und schwächte sich aufgrund verstärkter Windscherung am 30. Juni zum Tiefdruckgebiet ab und löste sich am folgenden Tag auf.
- NHC-Archiv zu Tropischer Sturm Cristina (englisch)
Tropischer Sturm Douglas
| Tropischer Sturm | |||
|---|---|---|---|
| |||
| Dauer | 1. Juli – 3. Juli | ||
| Intensität | 35 kn (65 km/h) (1-minütig), 1003 hPa | ||
Am 2. Juli bildete sich südöstlich der Südspitze Niederkaliforniens das Tropische Tiefdruckgebiet Vier-E, das rasch zum Tropischen Sturm Douglas hochgestuft wurde. Das System hatte seinen Ursprung in einer tropischen Welle, die sich am 19. Juni vor der Küste Westafrikas löste und über den Atlantischen Ozean zog. Am 27. Juni überquerte die Welle Zentralamerika und gelangte in das pazifische Hurrikanbecken. Zum Zeitpunkt der Aufstufung zum tropischen Sturm erreichte Douglas seine größte Stärke mit Windgeschwindigkeiten von 65 km und einem minimalen Zentralluftdruck von 1003 mbar (hPa).
Am 3. Juli wurde das Douglas mit Windscherung und kühlerem Wasser konfrontiert, was eine weitere Intensivierung unterband. Douglas wurde darauf zum tropischen Tiefdruckgebiet zurückgestuft, da die Konvektion sich von der Zirkulation löste.[17] Am 4. Juli (UTC) wies das System keine tropischen Eigenschaften mehr auf. Das Resttief schwächte sich weiter ab und verschwand am 6. Juli vollständig.
Aufgrund seiner Nähe zum Festland, erzeugten die äußeren Regenbänder von Douglas Windböen in Sturmstärke in Manzanillo.[18] Geringere Flutschäden wurden an der Küstenlinie der Bundesstaaten Colima, Jalisco und Nayarit verzeichnet.[19]
- NHC's NHC-Archiv zu Tropischer Sturm Douglas (englisch)
Tropisches Tiefdruckgebiet Fünf-E
| Tropisches Tiefdruckgebiet | |||
|---|---|---|---|
| |||
| Dauer | 5. Juli – 7. Juli | ||
| Intensität | 30 kn (55 km/h) (1-minütig), 1005 hPa | ||
Am 5. Juli entwickelte sich aus einer tropischen Welle, etwa 275 km südsüdwestlich von Acapulco ein tropisches Tiefdruckgebiet.[20] Das System wanderte nach Nordwesten. Es gelangte ohne wesentliche Intensivierung am 7. Juli bei Lázaro Cárdenas über Land und löste sich schnell auf.[20] Das System verursachte keine nennenswerten Schäden.
- NHC-Archiv zum Tief Fünf-E (englisch)
Hurrikan Elida
| Kategorie-2-Hurrikan | |||
|---|---|---|---|
| |||
| Dauer | 12. Juli – 19. Juli | ||
| Intensität | 90 kn (165 km/h) (1-minütig), 970 hPa | ||
Spät am 11. Juli erklärte das NHC ein Tiefdruckgebiet einige hundert Kilometer südlich des Golfes von Tehuantepec aufgrund seiner ausreichenden Konvektion als tropisch. Das System verstärkte sich rasch zum Tropischen Sturm Elida. Elida wanderte westwärts und intensivierte sich. Am 14. Juli um 9:00 Uhr UTC erklärte das NHC Elida zum Hurrikan,[21] der sich nach zwei Tagen in relativ beständiger Stärke rasch zu einem Hurrikan der Kategorie 2 intensivierte. Am 16. Juli erreichte Elida mit Windgeschwindigkeiten von 165 km/h die größte Stärke. Der Hurrikan hielt diese Stärke für etwa 36 Stunden und schwächte fiel dann in die Kategorie 1 zurück.[22] Am 18. Juli schwächte sich Elida zum tropischen Sturm ab und löste sich am 19. Juli auf, ohne Land gefährdet zu haben. Einige Tage später gewann die nun tropische Welle erneut an Konvektion, als das System sich jedoch Hawaii näherte, gingen die Chancen zu einer Reintensivierung verloren.
- NHC-Archiv zu Elida (englisch)
ii
Hurrikan Fausto
| Kategorie-1-Hurrikan | |||
|---|---|---|---|
| |||
| Dauer | 16. Juli – 22. Juli | ||
| Intensität | 80 kn (150 km/h) (1-minütig), 977 hPa | ||
- NHC-Archiv zu Hurrikan Fausto (englisch)
Am 16. Juli bildete sich etwa 900 km südöstlich von Acapulco das siebte tropische Tiefdrucksystem der Saison, das sich am 17. Juli zum Tropischen Sturm Fausto verstärkte und am Tag darauf Hurrikanstärke erreichte. Fausto erreichte im operativen Betrieb am 20. Juli südwestlich von Niederkalifornien für kurze Zeit die Kategorie 2 der Saffir-Simpson-Hurrikan-Windskala, verlor aber dann rasch an Intensität und löste sich am 22. Juli über kühlem Wasser auf. Bei der Nachanalyse wurde festgestellt, dass der Sturm seinen Höhepunkt jedoch kurz vor Erreichen der Kategorie 2 erreichte.
Hurrikan Genevieve
| Kategorie-1-Hurrikan | |||
|---|---|---|---|
| |||
| Dauer | 21. Juli – 27. Juli | ||
| Intensität | 65 kn (120 km/h) (1-minütig), 987 hPa | ||
Eine lebhafte tropische Welle wanderte in der dritten Juliwoche über Zentralamerika hinweg, nachdem sie sich in der südwestlichen Karibik beinahe zu einem tropischen Tiefdruckgebiet entwickelt hätte. Sie gelangte in den Pazifik und entwickelte sich südlich von Acapulco am 21. Juli zum achten tropischen Tiefdrucksystem des Jahres, das sich am Nachmittag zum Tropischen Sturm Genevieve intensivierte. Als solcher zog Genevieve mit wechselhafter Intensität weitab von der mexikanischen Küste westwärts. Am 25. Juli verstärkte sich Genevieve zum Hurrikan, der schon bald seinen Höhepunkt erreichte und sich abschwächte. Am 27. Juli war aus dem Hurrikan ein Resttief geworden.
- NHC-Archiv zu Hurrikcan Genevieve (englisch)
Hurrikan Hernan
| Kategorie-3-Hurrikan | |||
|---|---|---|---|
| |||
| Dauer | 6. August – 13. August | ||
| Intensität | 105 kn (195 km/h) (1-minütig), 956 hPa | ||
Ein tropisches Tiefdruckgebiet weit auf See südwestlich der mexikanischen Küste entwickelte sich langsam und wurde am 6. August etwa 1300 km westlich von Cabo San Lucas durch das NHC klassifiziert.[23] Ein Hochdruckgebiet über Mexiko zwang das System auf einen nordwestlichen Kurs mit einer Vorwärtsgeschwindigkeit von 25 km/h. Im Tagesverlauf intensivierte sich das Tief zum tropischen Sturm und am 8. August zum Hurrikan. Windscherung hinderte Hernan, der nun langsamer in westnordwestliche Richtung zog, über warmem Wasser zunächst daran, sich schnell zu intensivieren.[24] Dann folgte eine rapide Intensivierung zu einem schweren Hurrikan, der am 9. August mit einem Kernluftdruck von 956 hPa und Windgeschwindigkeiten von 105 Knoten die Kategorie 3 auf der Saffir-Simpson-Hurrikan-Windskala erreichte.[25] Hernan blieb zwölf Stunden lang in dieser Stärke, durchlief dann eine zyklische Eyewall-Neubildung, während der er sich für einige Stunden zu einem Kategorie-1-Hurrikan abschwächte und erreichte danach die Kategorie 2. In den folgenden Tagen änderte sich die Stärke des Sturmes wenig. Doch der langsame Niedergang des Systems hatte begonnen und alle paar Stunden setzte das NHC die andauernden Windgeschwindigkeiten herunter. Über kühlem Wasser wurde Hernan am 12. August zu einem tropischen Sturm abgestuft,[26] der sich zu einem tropischen Tief abschwächte.[27] Am 13. August zerfiel Hernan zu einem einfachen Wolkengebilde.
Trotz seiner Intensität als stärkster Hurrikan der pazifischen Hurrikansaison 2008 richtete Hernan keine Schäden an, weil er weit vom Land entfernt blieb. Im Zusammenhang mit dem Hurrikan wurden keine Personenschäden gemeldet.
- NHC-Archiv zu Hurrikan Hernan (englisch)
- Tropicyl Cyclone Report des NHCs zu Hurrikan Hernan (PDF, englisch; 643 kB)
Tropischer Sturm Kika
| Tropischer Sturm | |||
|---|---|---|---|
| |||
| Dauer | 6. August – 12. August | ||
| Intensität | 35 kn (65 km/h) (1-minütig), 1007 hPa | ||
Eine Wetterstörung südöstlich von Hawaii hatte sich am 6. August soweit entwickelt, um durch das Central Pacific Hurricane Center als Tropisches Tiefdruckgebiet Eins-C klassifiziert zu werden. Im Tagesverlauf intensivierte sich das Tief und erreichte die Stärke eines tropischen Sturmes. Kika ist die hawaiische Variante des Namens Keith.[28][29] Der Sturm war der erste tropische Wirbelsturm, der sich seit Hurrikan Ioke im Jahr 2006 im zentralpazifischen Becken bildete.
Während der nächsten Tage behielt der Sturm diese Intensität bei. Er wurde am 8. August zum tropischen Tiefdruckgebiet zurückgesetzt.[30] Am Morgen des nächsten Tages reintensivierte sich Kika zu einem schwachen tropischen Sturm[31] und verblieb bis zum 11. August in dieser Stärke. Das Central Pacific Hurricane Center stufte Kika dann zu einem Resttief zurück und gab am 12. August die letzte Sturmwarnung aus.[32]
- CPHC-Archiv zu Tropischer Sturm Kika (englisch)
Tropischer Sturm Iselle
| Tropischer Sturm | |||
|---|---|---|---|
| |||
| Dauer | 13. August – 16. August | ||
| Intensität | 45 kn (85 km/h) (1-minütig), 999 hPa | ||
Eine Störung südwestlich der mexikanischen Küste entwickelte sich am 13. August zu einem tropischen Tiefdruckgebiet, das im Tagesverlauf als Tropischer Sturm Iselle klassifiziert wurde. Ohne Land gefährdet zu haben, löste sich der Sturm am 16. August auf. Das Resttief zog noch einige Tage westwärts über den Pazifik.
- NHC-Archiv zu Tropischer Sturm Iselle (englisch)
Tropischer Sturm Julio
| Tropischer Sturm | |||
|---|---|---|---|
| |||
| Dauer | 23. August – 26. August | ||
| Intensität | 45 kn (85 km/h) (1-minütig), 998 hPa | ||
Am 23. August bildete sich südöstlich der Südspitze Niederkaliforniens das elfte tropische Tiefdruckgebiet des Jahres im östlichen Pazifik.[33] Nachdem ein Schiff eine ausreichende Windgeschwindigkeiten gemeldet hatte, stuft das NHC das System zum Tropischen Sturm Julio hoch.[34] Das Sturmzentrum zog über La Paz, Baja California Sur hinweg und im Landesinneren der Halbinsel Niederkalifornien nordwärts. Zwar gelangte das Sturmzentrum noch über das Wasser des Golfes von Niederkalifornien, aber das System hatte sich schon soweit abgeschwächt, dass es sich am 26. August auflöste.
In Niederkalifornien führte Julio zu Gewittern mit örtlichem Starkregen, wodurch etwa ein Dutzend Gemeinden von der Außenwelt abgeschnitten wurden. Durch die Auswirkungen wurden zwei Personen getötet und mehrere Gebäude beschädigt.[35] Die Feuchtigkeit des Systems führte in Arizona verbreitet zu Gewittern. Bei einem davon in der Nähe von Chandler erreichte der Wind eine Geschwindigkeit von 120 km/h; dabei wurden zehn einmotorige Flugzeuge auf dem städtischen Flughafen von Chandler und ein Hangar schwer beschädigt. In Gilbert führte der Regen zur zeitweiligen Überflutung des Interstate 17.[36]
- NHC-Archiv zu Tropischer Sturm Julio (englisch)
Tropischer Sturm Karina
| Tropischer Sturm | |||
|---|---|---|---|
| |||
| Dauer | 2. September – 3. September | ||
| Intensität | 35 kn (65 km/h) (1-minütig), 1000 hPa | ||
Ende August zog eine Störung durch den östlichen Pazifik. Am 2. September erklärte das NHC das System östlich der Socorro-Inseln zum Tropischen Sturm Karina.[37] Karina war kurzlebig und löste sich bereits am nächsten Tag auf. Die Spitzenwindgeschwindigkeit dieses Systems lag bei 65 km/h.
- NHC-Archiv zu Tropischer Sturm Karina (englisch)
Tropischer Sturm Lowell
| Tropischer Sturm | |||
|---|---|---|---|
| |||
| Dauer | 6. September – 11. September | ||
| Intensität | 45 kn (85 km/h) (1-minütig), 998 hPa | ||
In einem monsunartigen Trog im südwestlich der Küste Mexikos entstand ein schwaches Tiefdruckgebiet, das über moderate, isolierte Konvektion verfügte.[38] Es konnte sich zunächst jedoch nicht entwickeln und wurde in der nächsten tropischen Wettervorhersage nicht mehr erwähnt.[39] Am 6. September hatte sich am westlichen Rand des Troges ein neues Tief gebildet, das zwar schlecht definiert war, die globalen Vorhersagemodelle gingen aber von einer Wirbelsturmbildung innerhalb von zwei Tagen aus.[40] Ein ausgedehntes Gewittersystem erreichte in der Nacht zum 6. September südwestlich von Manzanillo Windgeschwindigkeiten von 35 Knoten, sodass das NHC das System direkt als Tropischen Sturm Lowell einstufte, ohne dass es zuvor als tropisches Tiefdruckgebiet klassifiziert war.[41]
Lowell entwickelte sich langsam und erreichte Windgeschwindigkeiten von 60 km/h. Für die Südspitze Niederkaliforniens wurde deswegen eine Vorwarnung vor einem tropischen Sturm ausgelöst, da das System nach Norden zog. Es schwächte sich jedoch am 9. September zum tropischen Tiefdruckgebiet ab. In den mexikanischen Bundesstaaten Michoacán, Sonora und Sinaloa wurden aufgrund von Sturzfluten mehr als 26.500 Einwohner obdachlos, es wurden aber keine Personenschäden im Zusammenhang mit dem tropischen Sturm gemeldet.[42] Nach dem Landfall löste sich das Tiefdruckgebiet am 11. September auf.
Das Resttief zog über die Vereinigten Staaten hinweg und verband sich mit einer Kaltfront und dem Resttief von Hurrikan Ike. Im oberen Mittelwesten führten die dadurch entstandenen Regenfälle, insbesondere in Illinois zu schweren Überflutungen und verursachten Schäden, bevor das System nach Kanada hineinzog. Die Niederschläge führten in Chicago zu den höchsten gemessenen Hochwasserständen seit Beginn der hydrologischen Aufzeichnungen im Jahr 1871.[43]
- NHC-Archiv zu Tropischer Sturm Lowell (englisch)
Hurrikan Marie
| Kategorie-1-Hurrikan | |||
|---|---|---|---|
| |||
| Dauer | 1. Oktober – 6. Oktober | ||
| Intensität | 70 kn (130 km/h) (1-minütig), 984 hPa | ||
Marie hatte ihren Ursprung in einer tropischen Welle, die sich am 6. September von der Westküste Afrikas löste und schnell westwärts zog, ohne sich wesentlich zu entwickeln. Am 24. September hatte die Welle Mittelamerika überquert, und über dem Pazifischen Ozean entwickelten sich einige schwache Konvektionsbänder. Das System zeigte jedoch bis zum 28. September keine Anzeichen einer geschlossenen Zirkulation. Zu diesem Zeitpunkt befand sich das System etwa 450 km südlich von Manzanillo.
Das vierzehnte tropische System der Saison bildete sich am 1. Oktober aus einer ausgedehnten Tiefdruckzone südwestlich von Niederkalifornien. Es entwickelte sich rasch und wurde im Tagesverlauf als Tropischer Sturm Marie klassifiziert. Mit einem mehr oder weniger westwärts gerichteten Kurs nahm die Vorwärtsgeschwindigkeit ab und die Intensität nahm am 3. Oktober zu einem Hurrikan zu. Nachdem die tropische Aktivität im östlichen Pazifik Ende August und im September ungewöhnlich niedrig gewesen war,[44] war Marie der erste Hurrikan seit zwei Monaten. Der Sturm konnte sich nicht weiterentwickeln und nahm stetig an Stärke ab. Am 7. Oktober war von Marie nur ein Resttief übrig, das noch zwölf Tage lang nach Südwesten zog, bevor es durch die Innertropische Konvergenzzone absorbiert wurde. Marie blieb auf See und verursachte keine gemeldeten Schäden.[45]
- NHC-Archiv zu Hurrikan Marie (englisch)
- Tropical Cyclone Report des NHCs zu Hurrikan Marie (PDF, englisch; 539 kB)
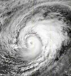
Hurrikan Norbert
| Kategorie-4-Hurrikan | |||
|---|---|---|---|
| |||
| Dauer | 3. Oktober – 12. Oktober | ||
| Intensität | 115 kn (215 km/h) (1-minütig), 945 hPa | ||
Der stärkste Hurrikan der Saison 2008 im östlichen Pazifischen Ozean entstand aus einer kräftigen tropischen Welle, die Ende September vor der Westküste Mexikos triftete. In den ersten beiden Oktobertagen hatte das System Schwierigkeiten, sich zu einem tropischen Tiefdruckgebiet zu entwickeln, aber schließlich entwickelte sich am 3. Oktober ein tropisches Tiefdruckgebiet, das sich am 4. Oktober zum Tropischen Sturm Norbert intensivierte und am 6. Oktober Hurrikanstärke erreichte. Nach einer rapiden Intensivierung am 7. Oktober wurde der Sturm am nächsten Tag zu einem schweren Hurrikan, dem zweiten der Saison. Zwölf Stunden später intensivierte sich der Sturm zu einem Hurrikan der Kategorie 4. Am Morgen des 9. Oktobers hatte die Stärke nachgelassen und Norbert war im Tagesverlauf zu einem Kategorie-1-Hurrikan zurückgefallen nahm.
Über dem Golf östlich der Halbinsel intensivierte sich der Hurrikan nochmals zu einem schweren Hurrikan. Norbert überquerte zweimal die mexikanische Küste; sein erster Kontakt mit dem Festland in Niederkalifornien am 11. Oktober wurde in der Kategorie 2 verzeichnet. Im Bundesstaat Sonora zog der Sturm dann am 12. Oktober um 4:00 Uhr UTC endgültig über Land. Über Land verlor der Hurrikan seine Kraft und löste sich im Tagesverlauf auf.
In Mexiko kamen durch den Hurrikan acht Personen ums Leben. Der Sturm traf mit Windgeschwindigkeiten von bis zu 155 km/h auf Niederkalifornien. Er entwurzelte Palmen und setzte manche Straßen von Puerto San Carlos knietief unter Wasser. Er deckte Dächer ab und störte die Stromversorgung von 20.000 Einwohnern. Die Behörden beherbergten zeitweilig rund 2850 Personen in Notunterkünften. Auf den Inseln Margarita und Magdalena wurden vierzig Prozent der Häuser beschädigt. Der Flughafen von La Paz in Baja California Sur stellte seinen Betrieb während des Durchzuges des Sturmes vorübergehend ein.[46]
Norbert war der erste Hurrikan, der die Westen Niederkaliforniens seit Hurrikan Pauline, vierzig Jahre zuvor, getroffen hat und war der stärkere dieser beiden Stürme.
- NHC-Archiv zu Hurrian Norbert (englisch)
Tropischer Sturm Odile
| Tropischer Sturm | |||
|---|---|---|---|
| |||
| Dauer | 8. Oktober – 12. Oktober | ||
| Intensität | 50 kn (95 km/h) (1-minütig), 997 hPa | ||
Anfang Oktober bildete sich in der Nähe von Nicaragua eine tropische Welle. Diese bewegte sich bis zum 6. oder 7. Oktober relativ wenig und verursachte in der Region heftige Niederschläge. Am 8. Oktober organisierte sich das System besser und entwickelte sich zum Tropischen Tiefdruckgebiet Sechzehn-E. Am nächsten Morgen stufte das NHC das System zum tropischen Sturm hoch und vergab den Namen Odile. Zu diesem Zeitpunkt lag das Zentrum vor der Küste Guatemalas.
Odile intensivierte sich in den folgenden Tagen nur langsam.[47] Am 10. Oktober wurden jedoch Sturmwarnungen in Mexiko ausgelöst, weil die Windgeschwindigkeiten 95 km/h erreichten.[48] In der Nacht erreichte Odile mit einem Abstand von 80 km seine geringste Entfernung zur mexikanischen Küste.[49] Auf Aufklärungsflugzeug stellte fest, dass zu diesem Zeitpunkt der Sturm mit 105 km/h seine größte andauernde Windgeschwindigkeit erreicht hatte.[50] Über die nächsten Tage hinweg, verlor Odile kontinuierlich an Intensität und löste sich am 12. Oktober auf.
Das Vorläufersystem zu Odile hat über Nicaragua heftige Regenfälle abgeladen.
- NHC-Archiv zu Tropischer Sturm Odile (englisch)
Tropisches Tiefdruckgebiet Siebzehn-E
| Tropisches Tiefdruckgebiet | |||
|---|---|---|---|
| |||
| Dauer | Oktober 23 – Oktober 24 | ||
| Intensität | 30 kn (55 km/h) (1-minütig), 1008 hPa | ||
Am 23. Oktober bildete sich um 9:15 Uhr Ortszeit (16:15 Uhr UTC) etwa 600 km südlich von Manzanillo das Tropische Tiefdruckgebiet Siebzehn-E.[51] Es löste sich am nächsten Tag auf, ohne den Status eines tropischen Sturmes zu erreichen.
- Archive des NHC zum Tief Siebzehn-E (englisch).
- Tropical Cyclone Report des NHCs (PDF, englisch; 33 kB).
Tropischer Sturm Polo
| Tropischer Sturm | |||
|---|---|---|---|
| |||
| Dauer | 2. November – 4. November | ||
| Intensität | 40 kn (75 km/h) (1-minütig), 1003 hPa | ||
Am 2. November klassifizierte das National Hurricane Center ein Tiefdruckgebiet etwa 1600 km südlich von Niederkalifornien als das 18. tropisches Tiefdruckgebiet des Jahres in diesem Becken,[52] das sich sechs Stunden später zum Tropischen Sturm Polo intensiviert hatte. Zu diesem Zeitpunkt nahm das NHC an, dass sich Polo zu einem starken tropischen Sturm entwickeln würde, das System konnte sich aber nicht wirklich intensivieren[53] und löste sich am 4. November in einen offenen Trog auf.
Zeitverlauf der Saison

Accumulated Cyclone Energy (ACE)
| ACE (104kt²) — Storm: | |||||||||||||
|---|---|---|---|---|---|---|---|---|---|---|---|---|---|
| 1 | 19,4 | Norbert | 10 | (1,59) | Kika | ||||||||
| 2 | 12,1 | Hernan | 11 | 1,41 | Iselle | ||||||||
| 3 | 11,5 | Elida | 12 | 1,21 | Cristina | ||||||||
| 4 | 10,1 | Fausto | 13 | 1,18 | Julio | ||||||||
| 5 | 7,68 | Boris | 14 | 1,13 | Polo | ||||||||
| 6 | 5,76 | Genevieve | 15 | 0,830 | Alma | ||||||||
| 7 | 5,04 | Marie | 16 | 0,613 | Douglas | ||||||||
| 8 | 2,56 | Odile | 17 | 0,245 | Karina | ||||||||
| 9 | 2,18 | Lowell | |||||||||||
| Total: 82,9 (1,59) | |||||||||||||
Die nebenstehende Tabelle zeigt die ACE für jeden Sturm dieses Jahres. Die ACE beschreibt die Energie eines tropischen Sturms, indem die Stärke eines Sturms mit der Dauer multipliziert wird, das heißt, lange andauernde Stürme, sowie starke Stürme haben einen hohen ACE-Wert. Traditionell werden von der NOAA lediglich benannte Stürme mit Windgeschwindigkeiten von über 34 Knoten (63 km/h) erfasst, aber nicht in Phasen, in denen sie subtropisch eingestuft waren.[54]
Die Werte in Klammern beziehen sich auf die Gebiete westlich des 140. Längengrades.
Sturmnamen
Die folgenden Namen wurden für benannte Stürme im östlichen pazifischen Becken benutzt:
- Alma, Boris, Cristina, Douglas, Elida, Fausto, Genevieve, Hernan, Iselle, Julio, Karina, Lowell, Marie, Norbert, Odile, Polo
Nicht mehr zur Anwendung kamen:
- Rachel, Simon, Trudy, Vance, Winnie, Xavier, Yolanda, Zeke
Stürme die sich zwischen der Datumsgrenze (180° westlichen Länge) und 140° westlicher Länge bilden, erhalten ihren Namen aufgrund einer gesonderten Liste. Diese Liste wird nicht jedes Jahr gewechselt, sondern die Namen werden der Reihe nach verwendet. Die World Meteorological Organization hat im April 2009 den Namen Alma von der Liste der Namen tropischer Wirbelstürme gestrichen und für die pazifische Hurrikansaison 2014 mit Amanda ersetzt.[55]
Siehe auch
- Atlantische Hurrikansaison 2008
- Pazifische Taifunsaison 2008
- Zyklonsaison im Nordindik 2008
- Zyklonsaison im Südwestindik 2008–2009
- Australische Zyklonsaison 2008–2009
Einzelnachweise
- ↑ Climate Prediction Center, NOAA: Background Information: East Pacific Hurricane Season. National Oceanic and Atmospheric Administration, 22. Mai 2006, abgerufen am 22. Mai 2007.
- ↑ a b Climate Prediction Center, NOAA: NOAA: 2008 Tropical Eastern North Pacific Hurricane Outlook. National Oceanic and Atmospheric Administration, 22. Mai 2008, abgerufen am 3. Juli 2008 (englisch).
- ↑ Central Pacific Hurricane Center, NOAA: NOAA Expects Slightly Below Average Central Pacific Hurricane Season. (PDF; 39 kB) National Oceanic and Atmospheric Administration, 22. Mai 2008, abgerufen am 3. Juli 2008 (englisch).
- ↑ a b c d Daniel P Brown: Tropical Storm Alma Tropical Cyclone Report. (PDF; 372 kB) NHC, 7. Juli 2008, abgerufen am 23. August 2008 (englisch).
- ↑ Tropical Depression ONE-E Discussion Number 1. National Hurricane Center, 29. Mai 2008, abgerufen am 29. Mai 2008 (englisch).
- ↑ Tropical Storm ALMA Forecast Discussion Number 3. National Hurricane Center, 29. Mai 2008, abgerufen am 29. Mai 2008 (englisch).
- ↑ Tropical Depression ALMA Forecast Discussion 8. National Hurricane Center, 30. Mai 2008, abgerufen am 30. Mai 2008 (englisch).
- ↑ Tropical Storm Alma pummels Nicaragua, kills one. Reuters, 29. Mai 2008, abgerufen am 23. August 2008 (englisch).
- ↑ Alma se disipa y deja atrás dos muertos y cientos de evacuados en Centroamérica. El País, 30. Mai 2008, abgerufen am 30. Mai 2008 (spanisch).
- ↑ Tote und Überschwemmungen durch Wirbelsturm "Alma". DiePresse.com, 30. Mai 2008, abgerufen am 30. Mai 2008.
- ↑ Blake: Tropical Storm Arthur Tropical Cyclone Report. (PDF; 494 kB) NHC, 28. Juli 2008, abgerufen am 23. August 2008 (englisch).
- ↑ Avila: Tropical Depression Two-E Discussion One. National Hurricane Center, Juni 2008, abgerufen am 28. Juni 2008 (englisch).
- ↑ Franklin: Tropical Storm Boris Discussion Twelve. National Hurricane Center, 27. Juni 2008, abgerufen am 27. Juni 2008 (englisch).
- ↑ Blake: Hurricane Boris Discussion 18. National Hurricane Center, 1. Juli 2008, abgerufen am 1. Juli 2008 (englisch).
- ↑ NHC: Hurricane Boris best track data. National Hurricane Center, 2008, ehemals im (nicht mehr online verfügbar); abgerufen am 6. Juli 2008 (englisch). (Seite nicht mehr abrufbar. Suche in Webarchiven) Info: Der Link wurde automatisch als defekt markiert. Bitte prüfe den Link gemäß Anleitung und entferne dann diesen Hinweis.
- ↑ NHC: Hurricane Boris best track data. National Hurricane Center, 2008, ehemals im (nicht mehr online verfügbar); abgerufen am 9. August 2008 (englisch). (Seite nicht mehr abrufbar. Suche in Webarchiven) Info: Der Link wurde automatisch als defekt markiert. Bitte prüfe den Link gemäß Anleitung und entferne dann diesen Hinweis.
- ↑ http://www.nhc.noaa.gov/archive/2008/ep04/ep042008.discus.007.shtml?
- ↑ Lixion A. Avila: Tropical Storm Douglas Tropical Cyclone Report. (PDF; 183 kB) NHC, 16. September 2008, abgerufen am 1. Dezember 2008.
- ↑ Oscar Gutierrez, Justin Miranda und Edgar Avila Perez: Ocasiona tormenta tropical Douglas intensas lluvias. El Universal, 2008, abgerufen am 30. November 2008 (spanisch).
- ↑ a b Avila, Lixion: Tropical Depression FIVE-E Discussion Twelve. National Hurricane Center, 5. Juli 2008, abgerufen am 5. Juli 2008 (englisch).
- ↑ Rhome: Hurricane ELIDA Public Advisory 10. National Hurricane Center, 14. Juli 2008, abgerufen am 14. Juli 2008 (englisch).
- ↑ Hurricane ELIDA Public Advisory 20. National Hurricane Center, Juli 2008, abgerufen am 14. Juli 2008 (englisch).
- ↑ Knabb: TROPICAL DEPRESSION NINE-E DISCUSSION NUMBER 1. National Hurricane Center, 6. August 2008, abgerufen am 6. August 2008 (englisch).
- ↑ Brown: Tropical Storm Hernan Discussion Two. National Hurricane Center, 2008, abgerufen am 31. August 2008 (englisch).
- ↑ Knabb: Hurricane HERNAN Forecast/Advisory Number 12. National Hurricane Center, 9. August 2008, abgerufen am 9. August 2008 (englisch).
- ↑ http://www.nhc.noaa.gov/archive/2008/ep09/ep092008.public.021.shtml
- ↑ http://www.nhc.noaa.gov/archive/2008/ep09/ep092008.public.026.shtml
- ↑ Tropical Depression 1C Advisory number 1. CPHC, 6. August 2008, abgerufen am 12. Oktober 2008.
- ↑ Tropical Storm Kika Advisory number 2. CPHC, 6. August 2008, abgerufen am 12. Oktober 2008.
- ↑ Tropical Storm Kika Advisory number 8. CPHC, 8. August 2008, archiviert vom am 6. März 2012; abgerufen am 12. Oktober 2008. Info: Der Archivlink wurde automatisch eingesetzt und noch nicht geprüft. Bitte prüfe Original- und Archivlink gemäß Anleitung und entferne dann diesen Hinweis.
- ↑ Tropical Storm Kika Advisory number 10. CPHC, 9. August 2008, archiviert vom am 6. März 2012; abgerufen am 12. Oktober 2008. Info: Der Archivlink wurde automatisch eingesetzt und noch nicht geprüft. Bitte prüfe Original- und Archivlink gemäß Anleitung und entferne dann diesen Hinweis.
- ↑ Tropical Storm Kika Advisory number 22. CPHC, 12. August 2008, abgerufen am 12. Oktober 2008.
- ↑ Tropical Depression 11E Advisory #1. NHC, 23. August 2008, abgerufen am 23. August 2008.
- ↑ Tropical Storm Julio Advisory Update. NHC, 23. August 2008, abgerufen am 27. August 2008.
- ↑ Gladys Rodríguez et al.: 'Julio' leaves 2 dead in BCS and Sonora ( des vom 14. Oktober 2008 im Internet Archive), El Universal, 27. August 2008 (spanisch).
- ↑ Alyson Zepeda and Megan Boehnke: Monsoon storm brings rain, wind, thunder, The Arizona Republic, 26. August 2008. Abgerufen am 28. August 2008
- ↑ Franklin: Tropical Storm KARINA Forecast Discussion #1. National Hurricane Center, 2. September 2008, abgerufen am 2. September 2008.
- ↑ Schauer Clark: Tropical Weather Discussion 0950 UTC September 5, 2008. National Hurricane Center, 2008, ehemals im (nicht mehr online verfügbar); abgerufen am 11. Oktober 2008 (englisch). (Seite nicht mehr abrufbar. Suche in Webarchiven) Info: Der Link wurde automatisch als defekt markiert. Bitte prüfe den Link gemäß Anleitung und entferne dann diesen Hinweis.
- ↑ Cab: Tropical Weather Discussion 1534 UTC September 5, 2008. National Hurricane Center, 2008, ehemals im (nicht mehr online verfügbar); abgerufen am 11. Oktober 2008 (englisch). (Seite nicht mehr abrufbar. Suche in Webarchiven) Info: Der Link wurde automatisch als defekt markiert. Bitte prüfe den Link gemäß Anleitung und entferne dann diesen Hinweis.
- ↑ Kimberlain: Tropical Weather Discussion 0329 UTC September 6, 2008. National Hurricane Center, 2008, ehemals im (nicht mehr online verfügbar); abgerufen am 11. Oktober 2008 (englisch). (Seite nicht mehr abrufbar. Suche in Webarchiven) Info: Der Link wurde automatisch als defekt markiert. Bitte prüfe den Link gemäß Anleitung und entferne dann diesen Hinweis.
- ↑ Stacy R. Stewart: Tropical Depression LOWELL Discussion #1. National Hurricane Center, 6. September 2008, abgerufen am 8. September 2008 (englisch).
- ↑ Monthly Tropical Weather Summary. National Hurricane Center, 1. Oktober 2008, abgerufen am 2. Oktober 2008 (englisch).
- ↑ Chicago seeks aid after worst rain in at least 137 years. CNN, 14. September 2008, abgerufen am 26. Januar 2011 (englisch).
- ↑ September MONTHLY TROPICAL WEATHER SUMMARY. NHC, abgerufen am 3. Oktober 2008.
- ↑ http://www.nhc.noaa.gov/archive/2008/tws/MIATWSEP_oct.shtml?
- ↑ Hurricane tears into Mexico
- ↑ http://www.nhc.noaa.gov/archive/2008/ep16/ep162008.public.005.shtml?
- ↑ http://www.nhc.noaa.gov/archive/2008/ep16/ep162008.public.007.shtml?
- ↑ http://www.nhc.noaa.gov/archive/2008/ep16/ep162008.public_a.010.shtml?
- ↑ http://www.nhc.noaa.gov/archive/2008/ep16/ep162008.public_a.012.shtml?
- ↑ Brennan/Even: Tropical Depression SEVENTEEN-E Public Advisory 1. National Hurricane Center, 23. Oktober 2008, abgerufen am 23. Oktober 2008 (englisch).
- ↑ http://www.nhc.noaa.gov/text/refresh/MIATCPEP3+shtml/022053.shtml
- ↑ http://www.nhc.noaa.gov/text/refresh/MIATCPAT3+shtml/
- ↑ 2007 Atlantic Ocean Tropical Cyclones. NOAA, 1. Juni 2007, archiviert vom am 25. Dezember 2007; abgerufen am 3. Juni 2007.
- ↑ World Meteorological Organization: Worldwide Tropical Cyclone Names. National Hurricane Center, 22. April 2009, abgerufen am 22. April 2009 (englisch).
Weblinks
- National Hurricane Center (englisch)
- Central Pacific Hurricane Center (englisch)
- Naval Research Laboratory (englisch)























.jpg)















