Kölner Judenviertel
Das Kölner Judenviertel war der älteste Wohnplatz einer jüdischen Gemeinde nördlich der Alpen. Wahrscheinlich siedelten schon seit Ende des 1. Jahrhunderts Juden in der Provinzhauptstadt Niedergermaniens und bildeten dort bis zum 4. Jahrhundert eine auch überregional bedeutende Gemeinde, die ihre Häuser wie die übrigen Bewohner des städtischen Kernbereichs auf den Resten römischer Bausubstanz errichteten. Seine Existenz fand eine erste Erwähnung durch ein Dekret Kaiser Konstantins des Jahres 321 nach Christus.[1] Die jüdischen Bewohner des Viertels wurden, nach einer durch den Rat im Jahr 1423 gesetzten Jahresfrist, 1424 der Stadt up ewige tzyden (auf alle Zeiten) verwiesen.[2]
Geschichte
Ansiedlung im römischen Köln
Das an die „decuriones“ der CCAA ergangene kaiserliche Dekret von 321, das auch den Juden die Berufung in die „curia“ erlaubte, bzw. diese nötigenfalls auch gegen ihren Willen in die Pflicht zu nehmen,[3] gilt als frühester Beleg für die Existenz einer jüdischen Gemeinde in der Stadt Köln. Das Dekret ist im Codex Theodosianus überliefert und hatte in der Übersetzung folgenden Wortlaut:
„Allen Stadtsenaten gestatten Wir durch allgemeines Gesetz, Juden in die Kurie zu berufen. Damit ihnen aber eine gewisse Entschädigung für die frühere Regelung verbleibt, lassen Wir es zu, dass immer zwei oder drei das Vorrecht genießen sollen, durch keinerlei Berufung (zu Ämtern) in Anspruch genommen zu werden.“
Juden waren demnach schon vor der fränkischen Eroberung ein Bestandteil des städtischen Lebens und hatten, da sie ein Händlervolk und keine Ackerbauern waren, mit großer Wahrscheinlichkeit auch in der Folgezeit ihre Geschäftspartner sowie ihren Wohnsitz im Kernbereich der Stadt.[4]
Fortbestand in fränkischer Zeit
Ob die spätantike Gesetzessammlung des Codex Theodosianus im nachrömischen Köln Bestand hatte, ist ebenso unbekannt wie der weitere Status der Judengemeinde in fränkischer Zeit. Allerdings belegen die jüngsten Grabungen auf dem Gelände des heutigen Rathausplatzes, einem Teilbereich der als Museumskomplex entstehenden Archäologischen Zone der Stadt, mit Sicherheit die Existenz der dortigen Synagoge in spätkarolingischer Zeit. Vorgängerbauten des jüdischen Gotteshauses sollen möglicherweise bis in die erste Hälfte des 4. Jahrhunderts zurückgehen.[5]
Erwähnung im Hochmittelalter
Erst im 11. Jahrhundert wurden sie erneut als Jüdische Gemeinde in Köln urkundlich bezeugt, in dem das Judenviertel als „inter Judeos“ genannt wurde. Die ging aus einem von Erzbischof Anno an das Stift St. Andreas gerichteten Schreiben hervor, in dem dieser dem Stift ein Grundstück im Judenviertel schenkte. Es war das gleiche Grundstück, dessen Gebäude „iuxta domum Divium“ gelegen, von St. Andreas an den Juden Elyachim verkauft wurde.[6] Innerhalb solcher, zumeist als „inter Judeos“ bezeichneten und den Juden zur Ansiedlung zugewiesenen Bezirke, waren in vielen mittelalterlichen Städten wie auch in Köln Juden ansässig geworden.
Den vornehmlich Handel treibenden Juden war anfänglich noch gestattet (wie auch in Frankfurt und anderen Städten), sich im Gegensatz zu den sich später im Viertel bei St. Gereon ansiedelnden friesischen Kaufleuten, innerhalb der Stadtmauer am Ostrand derselben ansässig zu werden. So distanzierte man sie auch räumlich weit von der sich westlich vor St. Aposteln gelegenen frühmittelalterlichen Allmende, deren Nutzung ihnen nicht gestattet war.
Eine bürgerliche Gemeinschaft von Juden und Christen war nur punktuell im Hochmittelalter vorhanden. Sie zeigte sich für kurze Zeit in einer gemeinsamen Gerichtsbarkeit,[7] indem Auflassungen beider Gruppen in gemeinsamen Büchern eingetragen wurden. Ebenso verhielt es sich bei einer weiteren kommunalen Maßnahme, bei der sie quasi die gleichen Pflichten zu übernehmen hatten wie sie auch von anderen Gemeinden übernommen wurden. Als im Jahr 1106 die Erweiterung der Umwallung stattgefunden hatte, überwies der Rat den Juden das ihrem Viertel zunächst gelegene Stadttor zur Verteidigung und benannte es nach ihnen als Judenpforte. Anteilig wurde dem christlichen Bevölkerungsteil des Bezirkes St. Laurenz der Abschnitt „Ipperwaldgraben“ und die Würfelpforte zur Verteidigung übertragen.[1] So hatten die Juden je nach Bedarf bürgerliche Pflichten zu erfüllen, Rechte wurden ihnen kaum zugestanden. Die Bestattung ihrer Toten hatte außerhalb der Stadtmauern zu erfolgen und war auch dort noch umstritten. Erst ein Privileg des Erzbischofs Engelbert brachte diesbezüglich 1266 eine vorläufige Regelung. Andererseits waren Juden zu allen Zeiten die Partner und Finanziers auch hochrangiger Herren der Bürgerschaft in diversen Geldgeschäften. Dieses ambivalente Verhalten der frühen Kölner Bevölkerung im Miteinander dieser beiden Bevölkerungsgruppen hatte Höhen und Tiefen und sollte sich bis zur Vertreibung der Juden im Jahr 1424 nicht ändern.[1]
Viertel und Straßen nach Gruppenzugehörigkeit
Anfänglich konnten die Juden fast allen Berufen nachgehen, sie beschränkten sich jedoch auf ihre traditionellen Fertig- und Fähigkeiten. In ihrem seit alters her entstandenen Viertel betätigten sie sich vornehmlich als Händler in Geld- und Viehhandel, waren anerkannt gute Silber- oder Goldschmiede und Mediziner, die sogar in schlimmsten Zeiten von den christlichen Bürgern in Anspruch genommen wurden.
In der Nachbarschaft des Judenviertels waren beispielsweise die Maler und Schilderer der Schildergasse angesiedelt, oberhalb des Viertels lag die Hochstraße, die in die Abschnitte der Schmiede, Sponmacher, Kannengießer und Panneschläger unterteilt war, während nordöstlich ihres Bereiches sich die Hut- und Taschenmacher, Seidensticker und sonstige Berufssparten dieser Zeit vertreten waren. Mitglieder dieser vielfältigen Handwerkerschaft organisierten sich später in mächtigen Zünften und nahmen so Einfluss auf das politische Leben der Stadt. Alle hatten sich einzeln oder in Berufsgruppen, jedoch überwiegend in einem bestimmten Viertel oder einer Straße angesiedelt, in der sie über Generationen lebten und arbeiteten.
In Köln war es die Volksgruppe an sich, die wie in fast allen mittelalterlichen Städten Europas, in einem separaten, nach ihnen benannten Viertel lebte. Auch im Kölner jüdischen Viertel wurde die größte Straße des Viertels als Judengasse bezeichnet. Weitere geschichtsträchtige Straßennamen hießen Jerusalemgässchen und Salomongasse, die Gold- und Silberschmieden des Kunstgewerbes prägten den Namen der Straße Unter Goldschmied. Die Straßenbezeichnung war im Gegensatz zu der in der Rheinvorstadt gelegenen Goldgasse (die später zur Strassburgergasse wurde), oder der Goldgasse im nördlichen Vorstadtbezirk Niederich gelegenen Goldgasse (platea auri), die im 12. Jahrhundert nach dort lebenden Grundbesitzern dieses Namens benannt worden war, rein auf das Handwerk der christlichen und jüdischen Goldschmiede bezogen.[8]
Zu den sich immer stärker etablierenden Zünften gehörten auch die Goldschmiede, die in der Rangfolge an vorderer Stelle standen und im Verbundbrief von 1395 an vierter Stelle angeführt wurden. Nach der Verabschiedung dieses „Grundgesetzes“ waren es nur noch wenige Jahre, bis die „goltsleigere“ genannten Goldschmiede (Gaffelhaus „Zum goldenen Horn“, 1401 bis zum Ende der reichsstädtischen Zeit, Unter Goldschmied 1),[9] als Hersteller von Blattgold und Goldschmuck ihre jüdischen Konkurrenten nicht mehr zu fürchten hatten.
Das in dieser Straße ansässige Handwerk konnte in jüngster Zeit durch typische Gerätschaften wie dem Fund eines in das 13. Jahrhundert datierten Schmelztiegels belegt werden.[5] Die Gassen der Händler mit ihren Buden genannten Verkaufsständen gaben ihren Namen wohl der Kleinen- und Großen Budengasse, Straßen die auch noch nach der Vertreibung der Juden bis in die Neuzeit mit so genannten „Gaddenen“ bestanden waren.
An der Nordseite von Unter Goldschmied lag die „Botengasse“, die heutige Große- und Kleine Budengasse der Händler. Die in der Umgangssprache die „Jüddejas“ genannte Judengasse war die Begrenzung der Ostseite des Viertels.[10] Sie war beidseitig bebaut und wurde noch nicht von einer freien Platzfläche unterbrochen. Mittig von ihr lag an der dem Alter Markt zugewandten Straßenseite das „Haus der Bürger“, das heutige Rathaus. Es lag zwar im topografischen Kern der Stadt, war jedoch wie der Sitz des Vogtes im Norden des Viertels umgeben von den Anwohnern einer anderen Volks- und Religionszugehörigkeit. Für diese Anwohner wiederum lebten jenseits der angeführten Straßenzüge nicht etwa Kölner, sondern die Christen.
Vogtshof zur Stesse
Das Viertel entlang der Judengasse hatte am Anfang die Fläche eines schmalen Rechtecks, welches nur an der Engen Gasse seine spätere Breite erreichte. An seiner Westseite befand sich, etwa über den Zeitraum eines Jahrhunderts der Hof des Stadtvogtes. Die neben der Kirche St. Laurenz gelegene Hofstatt wurde zwischen 1200 und 1230 dom. advocati in atrio s. Laurenti, später auch dom. cum ar. Hermani maioris advocati retro s. Laurentium und dann dom. et curia nobilis advocati genannt. Sie war 1263 zum Sitz der Kölner Vögte geworden und blieb dies offenbar bis zum Jahr 1370. Bis zu diesem Jahr wurde das zu sichernde Material des Stadtarchivs in den Vogtshof zur Stesse überführt.[11]
Anwachsen und Ausmaße des Viertels

Das Judenviertel hatte sich über Jahrhunderte im Altstadtkern der späteren, erstmals für die Jahre 1172 und 1176 urkundlich angeführten Pfarre St. Laurenz entwickelt.[12] Als es am Anfang des 14. Jahrhunderts zu einem starken Anwachsen der jüdischen Gemeinde kam, ging besonders am Nordrand des Viertels in der Kleinen Budengasse Haus um Haus in den Besitz der Juden über. Der Rat reagierte mit der Maßnahme, dass die jüdischen Aufkäufer ein Viertel der Kaufsumme an die Stadtgemeinde abführen mussten und bestimmte zugleich, dass den neuen Häusern eine Erbrente von sechs Schillingen zu Gunsten der Kirchengemeinde St. Laurenz auferlegt wurde.[1]
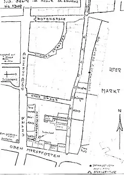
Der Kern des gesamten Viertels lag oberhalb der Judengasse, die ursprünglich mit ihren an und teilweise auf der römischen Ostmauer errichteten Gebäuden, zwischen den Straßen „Oben Marspforten“ und der Botengasse (später und noch heute „Kleine Budengasse“) verlief. Das Viertel erfasste mit seiner Bebauung neben der ganzen Judengasse die „Enge Gasse“ (die heutige Portalsgasse), das Jerusalemgässchen war relativ kurz, es verlief parallel und östlich der Straße „Unter Goldschmied“ und hatte von dieser seinen Zugang. Nördlich und oberhalb von Unter Goldschmied lag die kleine Salomonsgasse (noch heute) und die auch in diesem Abschnitt gelegene „Kleine Gasse“ wurde zum heutigen Laurenzgittergässchen. Von diesen Straßen dehnte sich im Laufe der Zeit der Jüdische Grund- und Hausbesitz weiter aus und erfasste benachbarte Straßenzüge. In Teilbereichen der Straßen Unter Goldschmied, Oben Maarspforten und Marsplatz waren kurze Stücke in jüdischen Besitz übergegangen, die Straße Kleine Budengasse dagegen war um 1349 fast in ihrer Gänze in jüdischem Besitz.[1]
Einschluss des Viertels und seine Tore
Seit dem Jahr 1310 war das Judenviertel zur Ost- und Nordseite ganz abgeschlossen. Zwar wurde eine von den Juden selbst errichtete Mauer in den Urkunden angeführt, die die in Richtung Alter Markt anschließenden Häuser der Christen abgrenzte, doch ist nicht auszuschließen, dass sie dazu verpflichtet wurden. Der Schreinseintrag des Bezirks St. Brigida lautet: „Cpm. 1310“, anterior dom. de novo muro edificato a Judeis usque ad Antiquum forum, dom. retro.[13]
Ein weiterer Eintrag des Jahres 1341 gibt Hinweise zu insgesamt fünf Toren des Judenviertels. Der Eintrag lautet: „Einer der Ratsboten hat Schlüssel von der Judenporze und Türlein, soll sie Abends verschließen und Morgens früh öffnen; dem Judenbischof ist Schlüssel zu der Engeggasse gemäß Judenbrief vorbehalten“.[14]
Die Nordseite des Viertels an der Kleinen Budengasse war durch Gitter geschlossen worden, die mit dem Expandieren jüdischer Bewohner vorgeschoben wurden. An dieser zuerst Botengasse genannten Straße befand sich an beiden Seiten ein Torzugang, der westliche an Unter Goldschmied und der östliche an der Judengasse. Diese wiederum besaß ein Tor am Ende zur Straße Unter Taschenmacher im Nordosten, sowie eines an ihrem südöstlichen Anfang an der Straße Oben Marspforten/Marsplatz. Das fünfte Tor des Viertels war der Eingang zur Engen Gasse von der Seite Unter Goldschmied.[15] Nach den Schreinsbüchern erhielt die nördliche Judengasse etwa in der Mitte des 14. Jahrhunderts die Bezeichnung Bürgerhaus- und dann den Namen Bürgerstraße. 1341 bildete die noch heute schmale Gasse durch die „porta inferior“ den Nordzugang des Judenviertels.
Grundbesitz im Judenviertel
Als sich die Kölner Sondergemeinden bildeten, fiel das Judenviertel fast vollständig in den Bereich der Pfarre St. Laurenz, lediglich die Jüdischen Bewohner, die in den auf der Römermauer errichteten Häusern Wohnungen bezogen, fielen verwaltungsmäßig an die später entstehende Brigidenpfarre (1172) in der Rheinvorstadt.[1]
Schreinsbücher und Auswertungen

Seit ca. 1130 wurden in den Gemeinden der Stadt Schreinsbücher, nach heutigem Verständnis Grundbücher, geführt. Diese kommunale Einrichtung der Bezirke erfasste in ihrer Anfangszeit im Laurenzbezirk unterschiedslos Christen und Juden. Schon bald wurden jedoch eigens für den jüdischen Grundbesitz, der durch Juden im Wesentlichen nur in der altstädtischen Laurenzpfarre erwerben werden konnte, separate Schreinsbücher des jüdischen Grundbesitzes angelegt. Aus diesen wurden durch Robert Hoeniger die Einträge von den 1230er Jahren bis zum Jahr 1347 für seine spezielle Abhandlung ausgewertet.
Hoenigers Untersuchungen basierten auf etwa 50 Häusern und Hofstätten des Jahres 1235, die mittlerweile in jüdischem Besitz waren. Dieser Bestand, auf einem insgesamt recht kleinen Areal des von ihnen geprägten Stadtviertels, wuchs bis zum Jahr 1300 auf 60 Anwesen an und steigerte sich auf 70 im Jahr 1325. Der nur noch geringe Anstieg auf eine Zahl von 75 Gebäuden der Juden um das Jahr 1340 kann durch den sich zuspitzenden Antijudaismus erklärt werden, der in den Pogromen des Jahres 1349 gipfelte.
Nach Hoenigers Auswertungen waren die Amtleute des Laurenzbezirkes gleichermaßen für Christen und Juden die beurkundende Behörde. Lediglich in wenigen strittigen Fällen des Erbrechtes, des ehelichen Güterechtes oder des Vormundschaftswesens war eine Mitwirkung der jüdischen Gemeindeleitung (sie bestand aus einem zwölfköpfigen Rat und einem so genannten Judenbischof[16]) den Dokumenten zu entnehmen. In vergleichbaren Fällen entschied bei christlichen Rechtsgeschäften ein Urteil der Schöffen über die Dispositionsbefugnis der Kontrahenten.
Mit dem Beginn der 1260er Jahre begann zunächst eine sporadische Abwicklung der Rechtsgeschäfte vor dem Gebäude der Synagoge.[17] Diese privat verhandelten Geschäfte wurden im Jahre 1266 durch den „Judenbischof“ und den Judenrat vor dem Schreinsamt bezeugt.[18] Danach schwankte diese Vorgehensweise, die in Hebräisch abgefassten Urkunden wurden häufiger, aber nur selten wurde in den lateinischen Urkunden Bezug auf sie genommen. Seit dem Ende der 1280er Jahre wurde die Bezugnahme zur Regel und die jüdische Behörde wurde zur allein maßgeblichen Instanz.[19]

In der Folge fanden in der Regel nur dann Verhandlung und Beurkundung vor dem Schreinsamt statt, wenn der Verkäufer ein christlicher Bürger war. Das hebräische Zeugnis fehlte in solchen Fällen, und die Eintragung erfolgte nicht im Judenschrein, sondern in den für diese Rechtsgeschäfte bestimmten christlichen Schreinsbüchern.[20]
In dieser Arbeit zog Hoeniger das Resümee, dass bei dem Kölner Judenviertel nur bedingt von einem Ghetto die Rede sein könne.
Im Vergleich zu dieser früheren Arbeit wurden von Keussen alle verfügbaren Jahrgänge der Bezirke des gesamten Stadtgebietes untersucht und bewertet. Da Keussen bei dieser Auswertung in den städtischen Bezirken mit Ausnahme der Laurenzpfarre und an der östlichen Randbebauung des Laurenzbezirkes zum Bezirk St. Brigida, in den dortigen Schreinseintragungen keine hebräischen Namen fand, kam er zu einer gegenteiligen Ansicht.
Die angelegtem Karten (Sc. Jud. = Scabinorum Judaeorum) enthielten die Beurkundungen über jüdischen Grundbesitz und schlossen sich inhaltlich unmittelbar an die vorangehenden Eintragungen der Schreinskarten dieses Bezirkes an. Verzeichnet wurden, wie auch für die übrige Bevölkerung, alle den Grundbesitz betreffenden Transaktionen wie Kauf, Vererbung und Schenkung von Grundbesitz. Erb-, Leih- und Zeitpachtverträge, Verpfändungen oder sonstige dingliche Belastungen wurden in den jeweiligen Unterbezirken, in denen der betreffende Grundbesitz lag, vor den Amtleutekollegien abgeschlossen und in den Schreinsakten verzeichnet.[21]
Adolf Kober, Historiker und Rabbiner, gab zu bedenken, dass um 1236 auch in den anderen Unterbezirken (die nordwestlichen Randbereiche) der Laurenzpfarre besondere Schreinsbücher angelegt wurden seien. So wäre also der Judenschrein nur einer unter vielen gewesen, seine Existenz müsse daher nicht unbedingt als Zeichen für die beginnende Ausgrenzung verstanden werden.[22]
Dokumente der Vergangenheit

Vergleichbare Einträge aus unterschiedlichen Jahrhunderten spiegeln die Umbrüche des jüdischen Viertels. In beispielhaft angeführten Einzelfällen des folgenden Abschnittes ergibt sich ein Einblick in die mittelalterlichen Gegebenheiten.
- 1170, ein Haus der Judengasse im regulären (christlichen) Schreinsbuch: (Robert Hoeniger, Moritz Stern (Hrsg.): Das Judenschreinsbuch der Laurenzpfarre zu Köln, I 222) „dom. cum ar. in angulo platea Judeorum versus Corduanos, illa pars, que spectat ad Judeos, que erat Wollberonis Litherin et Hertwici fratris Gerardi Teleonarii; wird durch den Juden Jac. fil. Ysaac gekauft“.[1]
- 1279, Haus an der südlichen „Enge Gasse“ (Portalsgasse) unterhalb der Straße „Unter Goldschmied“. (Jschr. N. 138) „dom. Salomon, bishof Judei (†)“.[1] Aufgrund seines Wissens um die jüdische Geschichte der Stadt dürfte Wallraf nach der französischen Zeit die Benennung des alten Namens „Salomonsgasse“ wieder eingeführt haben.
- 1280, jüdisches Gemeindehaus. (Jschr. n. 139) „Haus, das der Judengemeinde gemeinsam mit Rabbi Juda, dem Sohn des Rabbi Mose gehört“. Im gleichen Jahr wurde angrenzendes Gelände erworben. Dazu ebenfalls unter (Jschr. n. 139), „dom. secunda a domo cer Misten versus sinagogam Judeorum: der Hof des Hauses wird zur Erweiterung des Synagogenhofes, der nach Süden angrenzt, von der Judengemeinde erworben“.[1]
- 1288, ein Haus im Jerusalemgässchen im separaten Judenschreinsbuch: (Jschr. N. 173. 176. 181/183. 232; Qu. 3, 305) „dom. universitatis Judeorum, que dic. Speilhůz; es war das Braut- oder Hochzeitshaus, das vornehmlich zur Abhaltung von Hochzeiten bestimmt war. Es lag im Süden des Hauses Aschpa (zur Misten, Portalsgasse 16) und zog sich bis hinter dessen Nebenhaus hin. Östlich war es dem (jüdischen) Schulhof benachbart und hatte dort seinen Eingang. 1288 befand es sich seit über 30 Jahren im Besitz der Gemeinde. Ebenfalls für 1288 wurde der Ankauf eines Gebäudes verzeichnet, welches in der Folge als Backhaus der Judengemeinde diente. Es war das Hinterhaus des Nichol[23] an Oben Marspforten südlich des Jerusalemgässchens, ein ehemaliges Anwesen des Goldschmiedes Theoderich Metz“[1]
Nach der ersten Vertreibung
- 1349 kam es, auch gefördert durch die grassierende Pest, für die man Schuldige suchte, zum so genannten „Judenbrand“ in Köln. Während dieser Ereignisse wurden viele Bewohner des jüdischen Viertels getötet oder vertrieben und zahlreiche Häuser des Viertels an der Judengasse niedergebrannt.[24]
- Nach 1349 verzeichnete der Schrein S. Brigiden zur östlichen Judengasse: „Türen nach den Christengassen zu, zugemauert. Bis 1359 29 Häuser und 28 Hausplätze der Juden verkauft“.[25]
- 1366, (Sc. Jud. 1366) siebzehn Jahre nach dem Pogrom hieß es für ein Haus an der Nordseite der späteren Portalsgasse (heute „Spanischen Bau“), „Hfst. genannt des langen Huys allernächst der Hfst. der Kemenaiden; wird von den Kommissaren des Judengutes dem Goldschmied Gerhard Langin gegeben“. Erst im Jahr 1372 änderte sich die Einstellung des Rates, nun wurde den Juden die erneute Ansiedlung im Viertel an der Judengasse wieder gestattet. 1373 vermietete der Rat beispielsweise Salomon dem Juden ein „Huys in der Jůdingassin“ auf vier Jahre zu einer Miete um je 48 Gulden jährlich.[1]
- Grabsteine Kölner Juden des 14. Jahrhunderts
-
Ältester bekannter Grabstein Kölner Herkunft
-
Grabstein der Rachel, 1323 (siehe Bildtext)
-
Ohne Namensangabe
-
Grabstein der Sara, Tochter des R. Menachem
Gemeindeeinrichtungen
Wasserversorgung und Abwasser
Die Wasserversorgung des Viertels erfolgte durch „Pütz“ genannte Ziehbrunnen. Sie befanden sich an der Großen Budengasse, der Sporergasse, auf der Judengasse oberhalb des Bürgerhauses und der große mit steinernen Wendeltreppen versehene, als Kaltenborn bezeichnete Pütz des Judenbades.[26]
Von der musterhaften Kanalisation der Römer war im Mittelalter jedoch nicht viel erhalten. Die Ableitung der Abwässer war in allen Vierteln der Stadt als mangelhaft zu bezeichnen, lediglich für die anfallenden Fäkalien hub man Sickergruben aus. Im 12.- und 13. Jahrhundert hatten die Dächer nur eine Dachtraufe, oder das Regenwasser der „Kallen“ (seit dem 12. Jahrhundert waren Dachrinnen aus Blei bekannt) wurde ebenso wie die Brauchwässer der Häuser auf die Gasse geführt und suchte sich dort seinen abwärts führenden Weg. Diese in Köln „Soden“ genannten, offenen Abwässer im Straßenbereich, wurden nach und nach in Gräben verlegt und mit Bohlen abgedeckt, die man dann „Aducht“ nannte. Die abwärts führende Hauptsode, ebenfalls später abgedeckt, war im Süden des Judenviertels die besonders breite Sode Oben Marspforten, die im Bereich der Münze sogar einen Steg erhalten hatte. An der Nordseite des Viertels dürfte wahrscheinlich noch die rheinwärts führende, antike Kanalisation unter den Budengassen genutzt worden sein, von der noch heute Teilstücke in einer Gesamtlänge von 145 Meter Länge erhalten sind.[27]
Synagogenbauwerke
Den Vorgängerbauten eines jüdischen Gotteshauses, die möglicherweise in der ersten Hälfte des 4. Jahrhunderts errichtet wurden,[5] folgte die auch Judenschule genannte Synagoge der mittelalterlichen Gemeinde und wurde 1012 oder 1040 erbaut.
Nach dem Zeugnis des Elyakim ben Josef aus Mainz († zwischen 1145 und 1152) war das Gebäude mit Glasgemälden ausgestattet, die mit ihren Löwen und Schlangenbildern zu den ersten Glasmalereien des Rheinlandes gehörten.[28] Die Synagoge wurde durch die in Richtung Jerusalem ziehenden Kreuzfahrer im Jahr 1096 zerstört und wurde spätestens 1165 wieder aufgebaut. Dieses Gebäude überstand die erste Vertreibung der Juden aus Köln um 1349/50 und die Zeit bis zu ihrer Wiederkehr im Jahr 1372, gelangte jedoch erst im Jahr 1378 zurück in den Besitz der Gemeinde. Bereits zwei Jahre nach der endgültigen Vertreibung der Juden wurde die Synagoge im Jahr 1426 zu einem christlichen Gotteshaus, der Ratskapelle St. Maria in Jerusalem.
Gesellschaftliches und kulturelles Zentrum
Mit den auf einem relativ kleinen Areal lebenden etwa 800 Menschen jüdischer Zugehörigkeit entwickelte sich diese besondere Gemeinde Kölns in der ersten Hälfte des 14. Jahrhunderts zu einem Zentrum des deutschen Judentums. Das Kölner Judenviertel galt als Hochburg der Gelehrsamkeit, in dem traditionelles Talmudstudium im Vordergrund stand. Im Zusammenhang mit einem literarischen Erbe Kölner Rabbiner wurden die Namen des Elieser ben Joel Halevi, des Abraham Achselrad und des Samuel Halevi angeführt, die das europäisch-jüdische Geistesleben maßgeblich beeinflussten.[16]
Weitere Einrichtungen
Ebenso wie in den christlichen Pfarrbezirken war das jüdische Gotteshaus, die Synagoge, das Zentrum ihres Viertels. Die Synagoge umgebend befanden sich weitere Gemeindeeinrichtungen, wie die Wohnung des Synagogendieners, der 1280 durch Grunderwerb vergrößerte Schulhof, die 1281 erstmals erwähnte Frauenschule südlich der Synagoge und das 1349 niedergebrannte Gemeinde- und „Spillhuys“, in dem die Hochzeiten stattfanden.[2] Zu den wohl gemeinschaftlich unterhaltenen Bauten gehörte auch ein Hospital (1248) als karitative Einrichtung, wie sie für die kranken und älteren Bewohner auch in der übrigen Stadt durch Kirchengemeinden oder Konventen unterhalten wurden. Beide Konfessionen achteten jedoch nicht gleichermaßen auf die Religionszugehörigkeit. Während jüdische Ärzte auch bei Christen gefragt waren, wurde 1308 das Hospital Haus Grunewald, an der Maximinenstraße (auch Allerheiligen) zur Aufnahme armer bekehrte Juden eröffnet. Stifter der Einrichtung waren Hermann de Ederne, und Adolph de Reven.[29] Weitere Einrichtungen waren ein wohl allgemein genutztes Wasserbecken (möglicherweise ein Waschplatz) sowie das wichtige Ritualbad der Gemeinde, die Mikwe.
Kaltenborn, Judenbad, Mikwe
Erste Bauphasen der Mikwe gehen in die Zeit vor 800 zurück. Es folgte nach 1096 ein Umbau, der, abgesehen von einem turmartigen Oberbau (der bis in das 17. Jahrhundert stand), noch heute erhalten ist.[30]
Eine Schreinseintragung des Jahres 1289 zum Haus des Liv(b)ermamm (Jschr. N. 188 lautet „parva dom. contig. Dom. Lyvermanni versus dom. civium“). „das Haus mit dem Hof neben dem Schulhofe und das Bad (die Bezeichnung Bad, Judenbad taucht auch als Kaltenborn oder Judenpütz auf und war wohl das heute als Kölner Mikwe bekannte Ritualbad des Judenviertels) südlich dem Hof des Kaufladens Bardewich u. das große Haus, das R. Livermann aus Düren gegenüber der Marspforte gebaut hat“.[1] Eine endgültige Gewissheit wird bezüglich einer exakten Lage einzelner Einrichtungen sicher erst nach Abschluss der derzeitigen Grabungen gegeben sein.
Der Brunnenschacht der Anlage hatte einen turmartigen Überbau, dessen kleine Rundbogenfenster dem tiefen Schacht nur wenig Licht gaben. Der Schacht wechselt unterhalb der gestaffelten Rundbogenöffnungen von einem äußeren Treppenabgang nach innen. Er erreicht mit einer Tiefe von ca. 17 Metern den Grundwasserspiegel des Rheins und erfüllte so die rituelle Voraussetzung, die ein Untertauchen in „lebendigem Wasser“ vorschrieben und ermöglichten.[31]
Bürgerhausgelände
Auf dem Gelände des seit römischer Zeit dicht besiedelten und späteren Judenviertels war am östlichen Rand auch ein erstes Haus der Bürger entstanden. Es diente als Verwaltungsgebäude der Richerzeche, der politischen Spitze der Stadt und hatte bescheidene Ausmaße. Das später erweiterte Gebäude ruhte teilweise auf römisch- und fränkischem Mauerwerk der Vorgängerbauten, dessen Fundamente und Gewölbe sich noch heute in den Kellergeschossen finden, hatte aber auch eine Balkenverankerung als Unterzug in der Mauer eines benachbarten jüdischen Gebäudes. Diese frühe Form des späteren Rathauses brannte mit vielen anderen Gebäuden des Viertels während des Pogroms im Jahre 1349 nieder. Dies belegten die 1864 gefundenen Brandspuren und der für 1352 dokumentierte Umstand, dass die Ratssitzungen zu dieser Zeit im Amtshaus Airsbach auf der Straße Mühlenbach stattfanden. So ist auch der Verlust von Teilen der Schreinsakten dieser Zeit erklärlich, ebenso die Errichtung eines neuen Saalbaues (später Hansasaal genannt), der um 1360 an der alten Stelle an der Judengasse erfolgte. Der immer weiter anwachsende Komplex des „Bürgerhauses“ vereinnahmte durch Beschlagnahme oder Ankauf viele der anliegenden Wohn- und Geschäftshäuser und bedeckte um 1915 eine Fläche von rund 2200 m² mit einer Länge und Breite von etwa 74,50 × 42,50 Meter. In der sich in vielen Flügeln gliedernden Gesamtanlage war auch das so genannte Plasmansche Haus aufgegangen, dessen gewölbter Keller, neben der Mikwe und dem historischen Löwenhof, in Besichtigungsprogramm der zukünftigen Archäologischen Zone zu besichtigen sein wird.[32]
Plasmanscher Keller
Der Schrein des Bezirks St. Brigiden führte zwischen 1197 und 1215 das an den Bau des Bürgerhauses (domus civium) stoßende und der Judenschule gegenüber liegende Haus (domus que opposita est scolis Judeorum) als jüdischen Besitz. Es war das durch Gerhardus von der Hoesen nach dem Judenpogrom 1349 erworbene große und kleine Haus zur Hoesen, sowie das südlich gelegene Haus Hückeshoven. Die Eintragungen im Judenschreinsbuch 1353 bemerken für das nun Beyenburg genannte erste Haus, es habe hinten eine gewölbte Kammer, die möglicherweise zu der 1374 in städtischen Besitz gelangten Immobilie gehörte, die dann Kammer des Stadtschreibers wurde. In späterer Zeit wurde das Gebäude als Kanzlei oder Sekretariat bezeichnet. Ein erhaltener Grundriss des Erdgeschosses aus dem 18. Jahrhundert gibt zwar die mittelalterlichen Parzellen des Geländes wieder, doch ist aus ihm, da sehr viele Veränderungen stattfanden, die alte Raumaufteilung nicht ersichtlich. Ab dem frühen 19. Jahrhundert erhielt die Häusergruppe dem Namen „Plasmannsche Häuser“.[33]
Von dieser ehemaligen Häusergruppe, die südlich dem Saalbau des Rathauses angrenzte und durch eine Erweiterung desselben in diesem aufgegangen war, blieben nur die mittelalterlichen romanischen Keller erhalten. Die Häuser wichen dem durch die Zeichnung von Johann Toussyn um 1655 dargestellten Rathausbau, der 1861 durch Raschdorff erneuert wurde. Trotz dieser Neu- und Umbauten hatte man offenbar die Gewölbekeller, zumindest teilweise, unberührt gelassen.
Revision jahrzehntelanger Annahmen

Der Keller des Plasmanschen Hauses barg eine Einrichtung, die der Mitte des 12. Jahrhunderts entstammte und von Ennen in den „Kölner Blättern“ 1861 als Judenbad beschrieben wurde.[32]
Die in Paul Clemens Werk um 1930 angeführte Anlage ist noch erhalten und war zu dieser Zeit über eine vom Hof aus hinunterführende Treppe erreichbar. Der betreffende, mit weiteren Räumen verbundene Kellerraum, befand sich in einer Tiefe, die 1,60 m unter dem Hof- und Altermarkt- Niveau lag.
Der von vier rundbogigen Kreuzgewölben aus Tuffstein überspannte Raum hob sich von einer normalen Gestaltung in einigen Details hervor, hatte aber keine Rippenverzierung des Gewölbes. Dessen Gurtbögen ruhen auf Wandkonsolen und einer Mittelsäule, deren Schaft aus Kalkstein gefertigt wurde und wahrscheinlich aus römischem Abbruchmaterial herrührte. Die Spolie erhob sich auf einer aus Trachyt gefertigten Basis, aus dem auch ihr Kapitell gearbeitet worden war.
Ein um 0,55 m höher gelegenes Gemach in der Südostecke war mit einem Tonnengewölbe versehen und hatte in einer Zwischenmauer eine rundbogige Nische. Die die beiden Räume verbindende rechteckige Türöffnung hatte ebenfalls ein Gewände aus Trachyt, welches im Vergleich zu den Räumen selbst, als jüngere Veränderung angesehen wurde. Im größeren Raum befand sich an der Westseite ein um 1,15 m tieferer Bereich, in dem unter einem Steindeckel ein runder aus Tuffstein gebauter Brunnenschacht lag, der (wie damals angenommen) ehemals über Stufen zugänglich war.[32]
Die 1278 erwähnte Schreinseintragung, in der die Lage eines Waschsteines, des „lapis lavatorius“ bei „antiquus Murus paganorum“ angegeben wurde, blieb lange falsch gedeutet. Man geht heute davon aus, dass mit dieser Formulierung der antike Vorhof der frühen Synagoge des jüdischen Wohnplatzes bezeichnet wurde. Die Deutung der Vorkriegsforschung, bei der Anlage handele es sich um ein jüdisches Bad, wurde bei der Entdeckung der Mikwe im Jahr 1956 angezweifelt und von Otto Doppelfeld bereits 1959 verworfen.[34]
Dennoch ist der erhaltene Gewölbekeller, auch wenn er nur über einen der vielen profanen Pütze des Viertels zur eigenen Wasserversorgung des Hauses verfügte, eines der Objekte, die sich im 12. Jahrhundert in jüdischem Besitz befanden und auch einer der wenigen Baureste des ehemaligen Judenviertels.
Grabungen im Rahmen der Regionale 2010
-
Beginn der Grabungen Januar 2008, Portalsgasse
-
Umfeld der Mikwe, Sommer 2010
-
Parzellen entlang Oben Marspforten -
Ostseite zur Judengasse
Die derzeit andauernden Grabungen auf dem sich südlich der heutigen Portalsgasse anschließenden Gelände des Rathausplatzes basieren auf Plänen, die schon in den 1950er Jahren während der Amtszeit Doppelfelds erörtert wurden. Doppelfeld, der ebenfalls auf dem Rathausgelände (Spanischer Bau) das römische Praetorium freigelegt hatte, schlug vor, die für die Öffentlichkeit entstandene unterirdische Anlage zu erweitern und dort zukünftige archäologische Denkmäler zu präsentieren.
Es folgte 1969 jedoch nur eine Teilgrabung südlich der Rathauslaube, die zwar präsentiert, aber nicht weiter erschlossen wurde. Erst das beschlossene Projekt der Regionale 2010 der Region Köln/Bonn, eine Stiftung des Landes Nordrhein-Westfalen, eröffnete der Stadt die Möglichkeit die alten Pläne zu realisieren. Die nun schon einige Jahre andauernden Grabungsarbeiten knüpfen an die Doppelfelds an und erfassen nun die gesamte Platzfläche. Sie erschließen ein Areal von nahezu 10.000 m² Bodenfläche, die den Fachleuten Grundstrukturen römischer Bausubstanz und die auf dieser entstandene mittelalterliche Bebauung (insbesondere des jüdischen Viertels) in ihren erhaltenen Resten freigibt.[5]
Veröffentlichungen während der Grabungen
Zeitabschnitte, für die in den Quellen keine unterstützenden Hinweise verfügbar sind, können heute durch moderne Verfahren aufgehellt werden. So konnte eine Lumineszenz-Datierung für ein wohl schon von Doppelfeld gesichtetes Wasserbecken getroffen werden, die weit vor den ersten Schreinseintragungen liegt. Bei dem in einem Estrich eingelassenen Becken stellte man keine absolute Dichte fest, da kein abdichtender Mörtel (Opus signinum) in seinen Fugen verwandt worden war um ein Versickern des Wassers zu unterbinden. An Wasser herrschte offenbar im Viertel kein Mangel, sodass sich durch stetige Zufuhr und Überlauf eine starke Sinterschicht bildete, deren Analyse ein Alter von rund eintausend Jahren ergab.[5]
Unter Goldschmied
Die alte Straßenbezeichnung Unter Goldschmied konnte durch ergiebige Funde eindeutig dem dort stark vertretenen Handwerk der Goldschmiede zugeordnet werden. Es wurden typische Gerätschaften dieser Zunft geborgen, darunter befanden sich Probiersteine, Schmelztiegel, Gussformen und kleine Schmelzöfen aus Trachyt, deren Verwendung in Werkstätten des 13. Jahrhunderts erfolgte.[5]
Oben Marspforten
Für den Südteil des Geländes belegten die Grabungen entlang der Straße Oben Marspforten eine Parzellenstruktur, die ausgehend von der Römerzeit der Stadt, bis zum Zweiten Weltkrieg, seit mittelalterlicher Zeit unverändert erhalten blieb. Das Haus an der Südwestecke der Straße, „Zum Golde“ genannt, war 1300 im Besitz der Maria Gultslegersa, die einen Betrieb zur Blattgoldherstellung führte. Das Grundstück wurde im 15. Jahrhundert in ein großes und ein kleines Haus „Zum Golde“ geteilt. Bisher konnte jedoch nur die östliche Parzelle untersucht werden, da sich der Rest unterhalb der weiterhin dem fließenden Verkehr offenen Straße Unter Goldschmied befindet. Diesem Haus schließen sich östlich zur Judengasse hin die identifizierten Parzellen der Häuser Nichols, Koppe, Bardewich und Nussia an. Das Haus Nichols (noch nicht vollständig untersucht) war seit etwa 1150 bis 1285 im Besitz von Goldschmieden und ging dann in jüdischen Besitz über. Das Haus Koppe, mit teilweise erhaltenem Gewölbe aus Tuffstein des 12.- und Pfeilerresten aus Trachyt des Drachenfelsgesteins des 14. Jahrhunderts, sehen die Experten als frühes romanisches Bürgerhaus, welches dem erhaltenen Overstolzenhaus vergleichbar gewesen wäre. Das Haus Bardewich soll möglicherweise bereits vor 1200 den Goldschmieden als Zunfthaus gedient haben. Es wurde um 1200 von Johannes de Bardewich seinem Namensgeber gekauft und war im 14. und 15. Jahrhundert das Kauf- oder Garnhaus des Viertels. Auch dieses Haus weist auf den Ursprung seiner Erbauung hin, da sein Unterbau auf römischen Tuffquadern stand, die dem 1. Jahrhundert zugeordnet werden konnten.[35]

Synagogenumfeld
Bei der Wiederaufnahme der Untersuchungen Doppelfelds ergaben die Nachgrabungen im Bereich der Synagoge eine Optimierung seiner damaligen Erkenntnisse. Die Phasengliederung, die er bezüglich der jüngsten Zeit der Synagogengeschichte vornehmen konnte, war nicht mehr nachvollziehbar, da durch die dortigen Planierarbeiten der 1950er Jahre der oberflächennahe Bereich zerstört wurde. Die umlaufenden Bänke der Synagoge, der Thoraschrein, der in dem Unterbau von Stefan Lochners Altar der Stadtpatrone aufging, sowie Teile des Unterbaus der Bimah und weitere Befunde waren zerstört.
Allerdings konnte einiges des schon von Doppelfeld geborgenen Materials durch die jetzigen Grabungen vervielfältigt werden. So die mehr als 160 Fragmente der Bimah, die nun aufgrund weiterer Funde auf über 350 anwuchsen und sich damit rekonstruieren lassen. Auch zum Inneren des Synagogenbauwerks sind Details bekannt geworden. Neben Bruchstücken der Verglasung barg man farbig glasierte Kacheln des Bodens, Stücke der weißgekalkten Wände und Lichtgesimse, sowie Teilstücke von Nischen und Türgewänden. Ebenfalls konnten wesentliche Fragmente des Thoraschreins geborgen werden, sowie der Mikwe zuzuordnende Bauplastik.[5]
Wohnung einer jüdischen Familie
Aus der Kloake unter der Synagoge konnte eine Fülle an Material geborgen werden, das zur Wohnung im Obergeschoss der Synagoge gehört. Es waren Dinge des alltäglichen Lebens, die einen umfassenden Einblick in die Lebensumstände einer wohlhabenden jüdischen Familie im Köln des 14. Jahrhunderts geben und in dieser Vielfalt einzigartig sind. Geborgen wurden: Buchbeschläge, Pergamentreste mit hebräischen Schriftzeichen, Kinderspielzeug, Medizinfläschchen, Metallbeschläge des Mobiliars, Fensterverglasung und Teile der Dachabdeckung. Die Kloake liefert auch Informationen zur koscheren Küche. Die in ihr noch vorhandene Fülle an Tierknochen sowie botanische Reste ermöglichten den Fachleuten eine präzise Datierung des Materials, aus der hervorgeht, dass die Wohnung über der Synagoge bis zum August des Jahres 1349 bewohnt war.[5]
Künftige Gestaltung des historischen Geländes

Der schon mit der ersten Erweiterung des Hauses der Bürger einsetzende Prozess einer Ausdehnung städtischer Verwaltungsgebäude hielt über Jahrhunderte an. Die nach den Kriegszerstörungen wiedererstandenen historischen Bauten des Rathauses und des Turmes, sowie der neue südöstliche Verwaltungsbau bedecken heute die Fläche zwischen Alter Markt, Marsplatz und Judengasse. Die gesamte Fläche zwischen der Portalsgasse, Unter Goldschmied, der Kleinen Budengasse sowie der Bürgerstraße wird von den sich um einen Innenhof gruppierenden Ratsgebäuden des Spanischen Baus vereinnahmt. Diese Nachkriegsanlage überdeckt allerdings die in die Baumaßnahmen einbezogene unterirdische Anlage des Prätoriums, dem ehemaligen Wohn- und Amtssitz des Statthalters der Provinz „Germania Inferior“ sowie seiner Verwaltungsgebäude.
Unterirdische Ausstellungen
Dieser Anlage sollen sich zukünftig weitere unterirdische Ausstellungsflächen anschließen, wobei sich das jetzige Grabungsfeld mit einer Präsentationsfläche von annähernd 7.000 m² dazugesellen wird. Insgesamt wird so eine Anlage entstehen, die eine der größten dieser Art in Europa sein wird.
Die entstehende Anlage, deren Planungen seit dem Jahr 2009 andauern, soll im Jahr 2013 zum Abschluss kommen und dann der Öffentlichkeit zur Verfügung stehen. Die Ausstellung soll am tiefer gelegenen Alter Markt ihren Eingang haben und wird den Besuchern in unterschiedlichen Ausstellungsbereichen einen Einblick zu mehreren Epochen der Kölner Geschichte vermitteln können. Der Rundgang soll das römische Praetorium einbeziehen, es wird das Gewölbe des Plasmanschen Kellers zu sehen sein sowie die dann überdeckte derzeitige Grabungsfläche des Rathausplatzes mit ihren Überresten seiner Bebauung, die in Einzelheiten durch ausgestellte Funde und zusätzliche Informationen (auch virtueller Art) angereichert sein werden. Zu den herausragenden Schauplätzen wird dann unter anderem das alte Gewölbe des um 1850 abgebrochenen und durch einen Neubau ersetzten Hauses Koppe gehören, dessen romanisches Gewölbe wiederhergestellt werden soll. Ein weiterer Höhepunkt der unterirdischen Anlage wird eine Besichtigung des jüdischen Bades, der Mikwe sein, deren bisheriger Zugang vom Rathausplatz entfallen wird.[5]
Jüdisches Museum
Dieser Platz war die nach der mittelalterlichen Vertreibung der Juden entstandene und bisher verbliebene Freifläche im Kern des ehemaligen Jüdischen Viertels. Nach den Planungen und den von der Stadt veranlassten Ausschreibungswettbewerben soll der Rathausplatz der Standort eines Jüdischen Museums werden.
Weitere Informationen
Hauptartikel: Jüdische Geschichte in Köln
Literatur
- Hermann Keussen: Topographie der Stadt Köln im Mittelalter, in 2 Bänden. Köln 1910. ISBN 978-3-7700-7560-7 und ISBN 978-3-7700-7561-4.
- Hans Vogts, Fritz Witte: Die Kunstdenkmäler der Stadt Köln, im Auftrage des Provinzialverbandes der Rheinprovinz und der Stadt Köln. Herausgegeben von Paul Clemen, Bd. 7, Abt. IV: Die profanen Denkmäler der Stadt Köln, Düsseldorf 1930. Verlag L. Schwann, Düsseldorf. Nachdruck Pädagogischer Verlag Schwann, 1980. ISBN 3-590-32102-4.
- Werner Eck: Köln in römischer Zeit. Geschichte einer Stadt im Rahmen des Imperium Romanum (Geschichte der Stadt Köln Band 1). Greven, Köln 2004, ISBN 3-7743-0357-6.
- Thomas Otten, Hansgerd Hellenkemper, Jürgen Kunow, Michael Rind: Fundgeschichten – Archäologie in Nordrhein-Westfalen. Begleitbuch zur Landesausstellung NRW 2010. Im Auftrag des Ministeriums für Bauen und Verkehr des Landes Nordrhein-Westfalen in Zusammenarbeit mit der Archäologischen Gesellschaft Köln e. V., 2010, ISBN 978-3-8053-4236-0 (Museumsausgabe).
- Robert Hoeniger, Moritz Stern (Hrsg.): Das Judenschreinsbuch der Laurenzpfarre zu Köln. Verlag Simion, Berlin 1888.
- Adolf Kober: Grundbuch des Kölner Judenviertels 1135–1425. Ein Beitrag zur mittelalterlichen Topographie, Rechtsgeschichte und Statistik der Stadt Köln. Bonn 1920 (=Publikationen der Gesellschaft für rheinische Geschichtskunde 34).
- Carl Dietmar: „Die Chronik Kölns“, Chronik Verlag, Dortmund 1991. ISBN 3-611-00193-7.
- Adam Wrede: Neuer Kölnischer Sprachschatz. 3 Bände A – Z, Greven Verlag, Köln, 9. Auflage 1984, ISBN 3-7743-0155-7.
- Klaus Dresmann: Verfassung und Verfahren der Kölner Ratsgerichte. Dissertation Rechtswissenschaftliche Fakultät der Universität zu Köln, 1959.
- Christoph Bellot, in: Walter Geis, Ulrich Krings (Hrsg.): Das gotische Rathaus und seine historische Umgebung (= Stadtspuren. Denkmäler in Köln, Bd. 26), Köln: J. P. Bachem Verlag 2000, ISBN 3-7616-1391-1.
- Hrsg. LVR-Jüdisches Museum im Archäologischen Quartier Köln: Das Dekret von 321: Köln, der Kaiser und die jüdische Geschichte. o. J., ISBN 978-3-96719-002-1.
Einzelnachweise
- ↑ a b c d e f g h i j k l Hermann Keussen: Das Judenviertel mit einer Karte, in: Topographie der Stadt Köln im Mittelalter, Band I., S. 30 ff und Schreinsbezirk St. Laurenz, Karte u. Straßenregister, S. 183 ff
- ↑ a b Vogts, Witte: Die Kunstdenkmäler der Stadt Köln, im Auftrage des Provinzialverbandes der Rheinprovinz und der Stadt Köln. Hrsg. von Paul Clemen, Bd. 7, Abt. IV: Die profanen Denkmäler der Stadt Köln, S. 263 ff
- ↑ Werner Eck, Band 1, 2004. S. 325.
- ↑ Keussen, Band I. S. 31, Anm. 1). unter Verweis auf Julius Aronius: Regesten zur Geschichte der Juden im fränkischen und deutschen Reiche bis zum Jahre 1273. Bearbeitet unter Mitwirkung von Albert Dresdner und Ludwig Lewinski von Julius Aronius. Simion, Berlin 1902, Nr. 2.
- ↑ a b c d e f g h i Sven Schütte: Die Archäologische Zone Köln, S. 241 ff, in: Thomas Otten, Hansgerd Hellenkemper, Jürgen Kunow, Michael Rind: Fundgeschichten – Archäologie in Nordrhein-Westfalen. Begleitbuch zur Landesausstellung NRW 2010
- ↑ Keussen, Band I. S. 31, Anm. 1). unter Verweis auf Julius Aronius: Regesten zur Geschichte der Juden im fränkischen und deutschen Reiche bis zum Jahre 1273. Bearbeitet unter Mitwirkung von Albert Dresdner und Ludwig Lewinski von Julius Aronius. Simion, Berlin 1902, Nr. 2., und S. 33.
- ↑ Klaus Dresmann, Seite 3, Verweis auf Ratjen F. A., Verfassung und Sitz der Gerichte in Köln im Gesamtbild der Stadt, S. 23 ff
- ↑ Adam Wrede, Band I, S. 301 b
- ↑ Hermann Keussen, Topographie der Stadt Köln im Mittelalter, Bd. I. S. 143.
- ↑ Adam Wrede, Band I, S. 393.
- ↑ Hermann Keussen, Topographie der Stadt Köln im Mittelalter, Band I, Seite 210, Sp. a f, Bezirk St. Laurenz. Unter Verweis auf: Hoeniger, Schreinsurkunden I 235, und Lau, Köln 17. IV 1307. 38.60, und Lau, Köln 276; sowie Stein, Akten I 89 und Knipping, 1373 Stadtrechnungen II, 112 (domini nostri excuntes ad Stessam)
- ↑ Hermann Keussen: Das Judenviertel mit einer Karte, in: Topographie der Stadt Köln im Mittelalter, Band I., S. 196, Sp. a und b, unter Verweis auf (Urk. n. 25 a) und Lacomblet, Urkundenbuch I. 461 Joh. ecclesiasticus s. Laurentii
- ↑ Hermann Keussen, Band I., Bezirk St. Brigida, S. 94. Sp. b
- ↑ Hermann Keussen, unter Verweis auf: 1341 Stein, Akten I, 45
- ↑ Hermann Keussen, Band I, Karte des Judenviertels bis 1349
- ↑ a b Carl Dietmar: „Die Chronik Kölns“, S. 111.
- ↑ Robert Hoeniger, unter Verweis auf hebräische Urkunden Nr. 77
- ↑ Hoeniger, unter Verweis auf hebräische Urkunden Nr. 87
- ↑ Hoeniger, unter Verweis auf hebräische Urkunden Nr. 181
- ↑ Hoeniger, Seite 172–179
- ↑ Robert Hoeniger, Moritz Stern (Hrsg.): Das Judenschreinsbuch der Laurenzpfarre zu Köln
- ↑ Adolf Kober: Das Grundbuch des Kölner Judenviertels 1235–1425
- ↑ der Name existiert in unterschiedlicher Schreibweise
- ↑ Carl Dietmar: „Die Chronik Kölns“, S. 114.
- ↑ Hermann Keussen, Bezirk S. Brigiden, Band I., S. 126 b
- ↑ Keussen: Topographie der Stadt Köln im Mittelalter, Bd. I. S. 154, Karte des Bezirks St. Laurenz
- ↑ Keussen: Topographie der Stadt Köln im Mittelalter, Bd. I. S. 171, 175 f
- ↑ Paul Clemen Bd. 7, S. 263, Abt. IV: Die profanen Denkmäler der Stadt Köln, unter Verweis auf Kober in: Germania Judaica I, 1907, S. 71 und 80.
- ↑ Hermann Keussen, Verzeichnis der Hospitäler, Armen- und Pilgerherbergen, Band I, S. 155.
- ↑ Info der Stadt Köln
- ↑ Städtische Informationen in der Ausstellung der Mikwe
- ↑ a b c Vogts, Witte: Die Kunstdenkmäler der Stadt Köln, im Auftrage des Provinzialverbandes der Rheinprovinz und der Stadt Köln. Hrsg. von Paul Clemen, Bd. 7, Abt. IV: Die profanen Denkmäler der Stadt Köln, Baugeschichte des Rathauses S. 183 ff
- ↑ Christoph Bellot in: Walter Geis, Ulrich Krings (Hrsg.): Das gotische Rathaus und seine historische Umgebung, > S. 278 bis 282.
- ↑ Otto Doppelfeld: Die Ausgrabungen im Kölner Judenviertel. In: Zvi Asaria (Hrsg.): Die Juden in Köln von den ältesten Zeiten bis zur Gegenwart. Köln 1959, S. 88.
- ↑ Informationen der Schautafeln am Grabungsgelände
Koordinaten: 50° 56′ 17,4″ N, 6° 57′ 28″ O