Hôtel de Soissons

Das Hôtel de Soissons war ein Hôtel particulier in Paris, das zwischen 1574 und 1584 für Caterina de’ Medici vom Architekten Jean Bullant (1515–1578) gebaut wurde.
Es ersetzte eine Reihe von Vorgängerbauten an gleicher Stelle. Nach Katharinas Tod wurde das Hotel vergrößert und verschönert. Der letzte Besitzer, Viktor Amadeus I. von Savoyen-Carignan, richtete in den Gärten die Pariser Börse ein. 1740 war er gezwungen, das Hôtel zu verkaufen, um seine Schulden zu bezahlen. Im Jahr 1748 wurde es abgerissen und die Materialien wurden verkauft. An ihrer Stelle wurde eine Getreidebörse errichtet, die später durch die heutige Bourse de commerce ersetzt wurde. Eine Säule, die Colonne Médicis, von der man annimmt, dass sie für astrologische Beobachtungen verwendet wurde, ist alles, was übrig geblieben ist.
-
Quartier des Halles, Merian. 1615 -
Quartier Saint-Eustache, Gomboust, 1652 -
Hôtel de Soissons, Turgot, 1734 -
Plan des Appartement Caterine de’ Medicis, 2. Hälfte 16. Jahrhundert
Frühere Gebäude
Zu Beginn des 13. Jahrhunderts befand sich an dieser Stelle ein Hôtel im Besitz von Jean II. de Nesle. Da er keine Erben hatte, trat er das Anwesen 1232 an König Ludwig IX. (1214–70) ab, der es seiner Mutter Blanka von Kastilien (1188–1252) als Wohnsitz überließ. König Philipp IV. (1268–1314), der es erbte, schenkte das Haus seinem Bruder Karl, Graf von Valois (1270–1325). Der Besitz ging dann an dessen Sohn, König Philipp VI. (1293–1350), über, der ihn an Johann von Böhmen (1296–1346), Graf von Luxemburg und König von Böhmen, weitergab. Dessen Tochter Jutta von Luxemburg (1315–1349) erbte das Haus im Jahr 1327. Sie heiratete den späteren König Johann II. (1319–1364). Ihr Sohn, König Karl V. (1338–1380), trat das Gebäude 1354 an Amadeus VI. von Savoyen (1334–1383) ab.
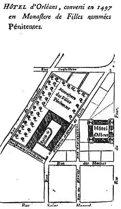
Das Hôtel gehörte dann Ludwig I., Herzog von Anjou (1339–1384). Seine Witwe Marie von Blois (1345–1404) verkaufte es 1388 an König Karl VI. (1368–1422), der es seinem Bruder, dem späteren König Ludwig XII. (1462–1515), schenkte. Auf Bitten des Beichtvaters Karls VIII. (1470–98) richtete dieser 1498 ein Kloster für „reuige Mädchen“ ein, während der Rest des Gebäudes zwischen dem Connétable von Frankreich und dem Kanzler des Herzogs von Orléans aufgeteilt wurde.
-
Hôtel de Nesle, 1230[1] -
Hôtel de Bahaigne (Bohème), 1388 -
Monastère des Filles Pénitentes, 1497 -
Hôtel de la Reine, 1572 -
Hôtel de Soissons, 1600 -
Halles aux Grains, 1763
Hôtel de la Reine

1572 gab Caterina de’ Medici (1519–1589), die Witwe Heinrichs II. von Frankreich (1519–59), plötzlich den von ihr erbauten Tuilerienpalast auf. Sie erwarb und bezog das Hôtel d’Albret, verschiedene Palais neben dem östlich gelegenen Kloster, und begann mit dem Bau des Hôtel de la Reine, wie es später genannt wurde. Da die Königinmutter der Astrologie hohe Bedeutung beimaß, und ihr Astrologe Cosimo Ruggeri vorhergesagt haben soll, dass Caterina „in der Nähe von Saint-Germain“ sterben werde, und der Tuilerienpalast in der Nähe der Kirche Saint-Germain-l’Auxerrois lag. Tatsächlich starb sie im Schloss Blois.
Bereits 1572 beauftragte Caterina Jean Bullant (1515–1578) mit dem Bau eines neuen Hauses innerhalb der Pariser Stadtmauern, weil sie mehr Platz für ihren wachsenden Haushalt benötigte.[2] Zwischen 1575 und 1583 stieg beispielsweise die Zahl der Hofdamen Caterinas von 68 auf 111.[3] Um Platz für das neue Gebäude und seine Gärten zu schaffen, ließ sie ein ganzes Viertel von Paris abreißen. Zu diesem Gebiet in der Pfarre Saint-Eustache gehörten das Hôtel Guillart und das erwähnte Hôtel d’Albret.[4] Die Königinmutter kaufte die Gebäude um das Hôtel d’Albret, um sie 1572 in ihre Residenz einzubauen, und erwarb dann das Monastère des Filles Pénitentes im Tausch gegen das Grundstück der Abtei Saint-Magloire in der Rue Saint-Denis, das ihr gehörte. Die neu erworbene Fläche wurde zu einem riesigen Garten. Eine schöne liegende Venus aus Marmor von Jean Goujon schmückte das Becken eines der Brunnen in den Gärten.
Jean Bullant leitete die Arbeiten von 1572 bis zu seinem Tod im Jahr 1578. Das Haus bestand aus mehreren Appartements, darunter eines für die Königinmutter und eines für ihre Enkelin Christine von Lothringen. Der König und die Königin, Heinrich III. (1551–1589) und Louise de Lorraine-Vaudémont (1553–1601), hatten ebenfalls ihre Gemächer. Das Hôtel bestand aus Galerien und Empfangsräumen, die wunderschön dekoriert und mit Katharinas Kunstsammlungen geschmückt waren. Es diente als Rahmen für die gesellschaftlichen und politischen Empfänge des Hofes. Die Bauarbeiten nach den Plänen von Bullant dauerten von 1574 bis 1584.[5] Der neue Palast war zu Caterinas Zeiten als Hôtel de la Reine und später als Hôtel de Soissons bekannt. Der ursprüngliche Entwurf basierte auf den Uffizien in Florenz, aber Caterina ließ diese Idee nach 1576 zugunsten eines weniger kostspieligen Plans fallen.[6] Kupferstiche von Israel Silvestre aus der Zeit um 1650 und ein Plan aus der Zeit um 1700 zeigen, dass das Hôtel de la Reine über einen zentralen Flügel, einen Hof und Gärten verfügte.[7] Der zentrale Flügel bestand aus drei großen Pavillons mit hohen, geneigten Dächern. In der Mitte flankierten zwei hohe, mit Pilastern verzierte Vorsprünge einen Bogen. In den ummauerten Gärten des Hotels gab es eine Voliere, einen See mit einem Wasserstrahl und lange Baumalleen. Caterina ließ auch eine Orangerie einbauen, die im Winter abgebaut werden konnte.[8]

Neben dem Hotel wurde ein Turm mit einer ummantelten Plattform errichtet, die heute als Medici-Säule bezeichnet wird.[9] Es ist möglich, dass die Säule vom persönlichen Astrologen der Königin, Cosimo Ruggeri aus Florenz, für Beobachtungen genutzt wurde. Die Treppe im Inneren führt zu einer Plattform, die drei Personen Platz bietet und von einem Eisenkäfig gekrönt wird. Es wird vermutet, dass die Plattform einst von einem Balkon umgeben war.[10] Die einzelne dorische Säule, die als Colonne de l‘Horoscope bekannt ist, stand im Innenhof.[11] Die Säule scheint auch eine denkmalpflegerische Bedeutung gehabt zu haben.[12] In die Kannelierung sind Schnitzereien von zerbrochenen Spiegeln, zerrissenen Liebesknoten und den ineinander verschlungenen Buchstaben „C“ und „H“ eingelassen – alles Symbole für Caterinas Trauer über den Verlust ihres Mannes.[13] Links von der Treppe des Turms befand sich ein Saal, der größte Raum des Komplexes. Der zentrale Flügel, wie ihn Silvestre vom Garten aus gezeichnet hatte, erstreckte sich an seiner Nordseite.[14]
Geschichte
Nach Ermordung des Herzogs von Guise (1588) und dem Tod Caterina de‘ Medicis (1589) wurde das Hotel noch 1589 von den Prinzessinnen der Liga (darunter Anna d’Este) bezogen und trug nun vorübergehend den Namen „Hôtel des Princesses“. Während dieser Zeit wurde ein Großteil des Mobiliars entsorgt.
Nach einer Reihe von Streitigkeiten über die von Caterina de’ Medici angehäuften Schulden überließen die Erben der Königinmutter 1601 das Hôtel Catherine de Bourbon (1559–1604), der Schwester Heinrichs IV. (1553–1610). Im Laufe der Zeit wurden zahlreiche Verbesserungen am Hotel vorgenommen, darunter ein wunderschönes Hochportal im Jahr 1611 von Salomon de Brosse (siehe Zeichnung).[15] Nach ihrem Tod wurde es von Charles de Bourbon, dem Grafen von Soissons, erworben, der es reparierte, vergrößerte und ihm seinen Namen gab.[16] Charles de Bourbon starb 1612 und seine Witwe, Anne de Montafié, Comtesse de Clermont-en-Beauvaisis, erwarb bis zu ihrem Tod im Jahr 1644 zahlreiche Grundstücke rund um das Hotel hinzu. Das Hôtel de Soissons war zu diesem Zeitpunkt in seiner endgültigen Form. Es ging an ihre Tochter Marie de Bourbon-Condé (1606–1692), Ehefrau von Thomas Franz, Fürst von Carignan (1596–1656), über. Deren Sohn Emmanuel Philibert, Fürst von Carignan (1628–1709), erbte das Anwesen und vererbte es 1718 seinem Nachfolger Victor Amadeus I., Fürst von Carignan (1690–1741), der im Jahr 1720 im Garten des Palais die Pariser Börse gründete: Vor dem Hotel wurden Gebäude errichtet, um Spekulanten und Wertpapierhändler zu beherbergen.
Victor Amadeus ging in Konkurs und war gezwungen, das Anwesen 1740 zu verkaufen. Der Prévôt de Paris aufte das Grundstück und ließ das Gebäude 1748 abreißen.[17] Die Materialien wurden verkauft, um die Gläubiger zu bezahlen.[18] Die separat verkaufte Säule wurde von Louis Petit de Bachaumont erworben, der sie dann der Stadt Paris schenkte.[19] Die Säule ist alles, was heute vom Hôtel de la Reine übrig geblieben ist.[20] Sie ist neben der Kuppel der Handelsbörse zu sehen.
Zwischen 1763 und 1767 errichtete die Stadt Paris an dieser Stelle ein kreisförmiges Gebäude für die Lagerung und den Verkauf von Weizen.[21] Die Halle aux blés wurde von Nicolas Le Camus de Mézières mit einem kreisförmigen Innenhof und einer Doppeltreppe entworfen. Der Grundriss dieses Gebäudes wurde beibehalten.[22]
Personalia
Im Hôtel de Soissons wurde u. a. 1655 Ludwig Wilhelm (Baden-Baden) („Türkenlouis“) und 1663 Eugen von Savoyen („Prinz Eugen“) geboren.
Literatur
- Luisa Capodieci: Medicæa Medæa. Art, astres et pouvoir à la cour de Catherine de Médicis. Genf, Droz, 2011.
- Leonie Frieda: Catherine de Medicis. London: Phoenix, 2005, ISBN 0-7538-2039-0
- Jacques Hillairet: Connaissance du Vieux Paris. Editions du Minuit, 1978
- R. J. Knecht: Catherine de’ Medici. London, New York: Longman, 1998, ISBN 0-582-08241-2
- Catherine Madoni: L’hôtel de la Reine. In: Marie-Noëlle Baudouin-Matuszek (Hrsg.): Paris et Catherine de Médicis. Paris, Délégation à l’action artistique de la Ville de Paris, 1989, ISBN 2-905118-16-4, S. 108–127.
- Camille Piton: Comment Paris s’est transformé: histoire de Paris, topographie, mœurs, usages, origines de la haute bourgeoisie parisienne: le quartier des Halles. S. 3–133, J. Rothschild éditeur, Paris, 1891
- David Thomson: Renaissance Paris: Architecture and Growth, 1475–1600. Berkeley: University of California Press, ISBN 0-520-05347-8.
- Chantal Turbide: Catherine de Médicis, mécène d’art contemporain: l’hôtel de la reine et ses collections. In: Patronnes et mécènes en France à la Renaissance, études réunies par Kathleen Wilson-Chevalier. Publications de l’Université de Saint-Étienne, 2007
Anmerkungen
- ↑ Nicht zu verwechseln mit dem Hôtel de Nesle am linken Seineufer, das ebenfalls aus dem 13. Jahrhundert stammt
- ↑ Knecht, S. 230
- ↑ Knecht, S. 223
- ↑ Frieda, S. 335
- ↑ structurae, abgerufen am 10. Juli 2022
- ↑ Thomson, S. 176
- ↑ Thomson, S. 176
- ↑ Knecht, S. 223
- ↑ Hillairet
- ↑ Frieda, S. 336
- ↑ Thomson, S. 176
- ↑ Thomson, S. 175
- ↑ Knecht, S. 223
- ↑ Thomson, S. 176
- ↑ Hillairet
- ↑ Frieda, S. 336; Hillaret
- ↑ Thomson, S. 176
- ↑ Hillairet
- ↑ Hillairet
- ↑ Frieda, S. 336
- ↑ Hillairet
- ↑ Structurae
Weblinks
Koordinaten: 48° 51′ 47″ N, 2° 20′ 35″ O