Flughafen Colorado Springs
| Colorado Springs Airport | ||||
|---|---|---|---|---|
![]() | ||||
| ||||
| Kenndaten | ||||
| ICAO-Code | KCOS | |||
| IATA-Code | COS | |||
| Koordinaten | 38° 48′ 21″ N, 104° 42′ 3″ W | |||
| Höhe über MSL | 1.886 m (6.188 ft) | |||
| Verkehrsanbindung | ||||
| Entfernung vom Stadtzentrum | 11 km südöstlich von Colorado Springs | |||
| Straße | US 24/CO 21 | |||
| Basisdaten | ||||
| Eröffnung | 1927 | |||
| Betreiber | Stadt Colorado Springs | |||
| Fläche | 2914[1] ha | |||
| Terminals | 1[1] | |||
| Passagiere | 1.725.037[2] (2018) | |||
| Luftfracht | 9.525 t[3] (2017) | |||
| Flug- bewegungen |
127.666[2] (2018) | |||
| Start- und Landebahnen | ||||
| 12/30 | 2520 m × 46 m Asphalt | |||
| 17R/35L | 3360 m × 46 m Asphalt | |||
| 17L/35R | 4115 m × 46 m Beton | |||
Der Flughafen Colorado Springs (englisch City of Colorado Springs Municipal Airport, IATA-Code: COS, ICAO-Code: KCOS) ist der Flughafen der Stadt Colorado Springs im US-Bundesstaat Colorado.
Lage und Verkehrsanbindung
Der Colorado Springs Airport liegt elf Kilometer südöstlich des Stadtzentrums von Colorado Springs. Der U.S. Highway 24 und der Colorado State Highway 21 verlaufen auf einer gemeinsamen Trasse östlich des Flughafengeländes. Der Colorado State Highway 21 verläuft außerdem südlich des Flughafens.
Geschichte
Die Stadt Colorado Springs erwarb 1927 eine 260 Hektar große Fläche östlich der Stadt und richtete dort einen Flughafen mit zwei kurzen Start- und Landebahnen aus Kies ein.[4] Die Kosten für das Grundstück und die Befeuerung beliefen sich auf 33.500 Dollar (entspricht 610.000 Dollar in heutiger Kaufkraft).[4] In den 1930er Jahren war der Flughafen Teil der Route El Paso–Pueblo–Colorado Springs–Denver.[4] Die Auslastung des Flughafens war jedoch gering, im Jahr 1938 wurden insgesamt 35 Passagiere abgefertigt.[4]
1940 errichtete die Stadt für 19.874 Dollar (entspricht 440.000 Dollar in heutiger Kaufkraft) ein erstes Empfangsgebäude im Art-Déco-Stil.[4] Im gleichen Jahr wurde der Flughafen in einen Militärflugplatz umgewandelt, während des Zweiten Weltkriegs wurden dort Piloten an der Lockheed P-38 und anderen Flugzeugen ausgebildet.[4] Nach Kriegsende wurde die zivile Nutzung wieder aufgenommen, 1948 wurde parallel dazu die Peterson Air Force Base auf dem Gelände eingerichtet.[4]
Nach einer Phase, in der die Anlagen gleichzeitig militärisch und zivil genutzt wurden, begann 1966 der Bau eines neuen zivilen Empfangsgebäudes an der Westseite, das in den 1970er und 1980er Jahren mehrfach erweitert wurde.[4] Das heutige Terminal wurde nach zwei Jahren Bauzeit im Oktober 1994 eröffnet.[4]
Flughafenanlagen

Der Colorado Springs Airport hat eine Gesamtfläche von 2.914 Hektar.[1]
Start- und Landebahnen
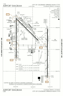
Der Colorado Springs Airport verfügt über drei Start- und Landebahnen. Die längste Start- und Landebahn trägt die Kennung 17L/35R, ist 4.115 Meter lang und 46 Meter breit. Parallel verläuft die Start- und Landebahn 17R/35L, ist 3.360 Meter lang und 46 Meter breit. Die Querwindbahn 12/30 ist 2.520 Meter lang und 46 Meter breit.[1] Die Start- und Landebahn 17L/35R ist mit einem Belag aus Beton ausgestattet, während die restlichen Start- und Landebahnen einen Belag aus Asphalt haben.
Terminal
Der Colorado Springs Airport verfügt über ein Passagierterminal mit einer Grundfläche von 275.000 Quadratfuß beziehungsweise 25.548 Quadratmetern. Es ist mit zwölf Flugsteigen und ebenso vielen Fluggastbrücken ausgestattet. Das Terminal wurde ursprünglich im Jahr 1994 eröffnet.[1]
Fluggesellschaften und Ziele
Am Flughafen Colorado Springs bestehen Linienflugverbindungen zu Zielen innerhalb der Vereinigten Staaten.[5] Die wichtigsten Fluggesellschaften sind United Airlines, Frontier Airlines und American Airlines.[2]
Verkehrszahlen
Verkehrsreichste Strecken
| Rang | Stadt | Passagiere | Fluggesellschaft |
|---|---|---|---|
| 1 | Dallas/Fort Worth, Texas | 198.700 | American |
| 2 | Denver, Colorado | 145.860 | United |
| 3 | Chicago–O’Hare, Illinois | 111.350 | American, United |
| 4 | Houston–Bush, Texas | 60.800 | United |
| 5 | Las Vegas, Nevada | 58.740 | Frontier |
| 6 | Atlanta, Georgia | 52.950 | Delta, Frontier |
| 7 | Phoenix–Sky Harbor, Arizona | 46.250 | Frontier |
| 8 | Los Angeles, Kalifornien | 39.610 | United |
| 9 | Orlando, Florida | 32.430 | Frontier |
| 10 | Salt Lake City, Utah | 27.390 | Delta |
Weblinks
- Offizieller Internetauftritt (englisch)
Einzelnachweise
- ↑ a b c d e About the Airport. ColoradoSprings.gov, abgerufen am 22. September 2018.
- ↑ a b c Monthly Traffic Reports. ColoradoSprings.gov, abgerufen am 14. Juni 2019.
- ↑ North America Airport Rankings. ACI-NA.org, archiviert vom am 6. September 2018; abgerufen am 14. Juni 2019 (englisch).
- ↑ a b c d e f g h i History. City of Colorado Springs, archiviert vom am 15. September 2015; abgerufen am 30. Januar 2011 (englisch).
- ↑ a b Airlines. ColoradoSprings.gov, abgerufen am 22. September 2018 (englisch).
- ↑ Colorado Springs, CO: City of Colorado Springs Municipal (COS). Transtats.BTS.gov, abgerufen am 14. Juni 2019 (englisch).


_location_map.svg.png)