Eugene Airport
| Eugene Airport Mahlon Sweet Field | ||||
|---|---|---|---|---|
![]() | ||||
| Luftbild des Flughafens | ||||
| ||||
| Kenndaten | ||||
| ICAO-Code | KEUG | |||
| IATA-Code | EUG | |||
| Koordinaten | 44° 7′ 28″ N, 123° 12′ 43″ W | |||
| Höhe über MSL | 114 m (374 ft) | |||
| Verkehrsanbindung | ||||
| Entfernung vom Stadtzentrum | 12 km nordwestlich von Eugene | |||
| Straße | ||||
| Basisdaten | ||||
| Eröffnung | 1. Mai 1943[1] | |||
| Betreiber | City of Eugene | |||
| Fläche | 1052[2] ha | |||
| Terminals | 1[3] | |||
| Passagiere | 1.144.028[4] (2021) | |||
| Luftfracht | 543 t[4] (2021) | |||
| Flug- bewegungen |
60.633[4] (2021) | |||
| Start- und Landebahnen | ||||
| 16R/34L | 2441 m × 46 m Asphalt | |||
| 16L/34R | 1829 m × 46 m Asphalt | |||
Der Eugene Airport (IATA-Code: EUG, ICAO-Code: KEUG; auch Mahlon Sweet Field) ist der Verkehrsflughafen der amerikanischen Großstadt Eugene im US-Bundesstaat Oregon.
Lage und Verkehrsanbindung
Der Eugene Airport befindet sich zwölf Kilometer nordwestlich des Stadtzentrums von Eugene. Östlich des Flughafens verläuft die Oregon Route 99. Der Flughafen ist nicht in den Öffentlichen Personennahverkehr eingebunden. Die Fluggäste müssen auf Mietwagen und Taxis zurückgreifen.[5]
Geschichte
Im Jahr 1919 wurde mit dem Eugene Air Park der erste Flughafen der Stadt eröffnet. Am 1. Mai 1943 wurde der Flughafen am heutigen Standort als Mahlon Sweet Field eröffnet. Im gleichen Jahr begann United Airlines als erste Fluggesellschaft, den Flughafen regelmäßig anzufliegen. 1964 wurde ein neues Passagierterminal eröffnet, um das alte United-Airlines-Passagierterminal zu ersetzen. 1988 wurde das Passagierterminal um Concourse A erweitert. 2005 wurde die Start- und Landebahn 16L/34R in Betrieb genommen. 2008 wurde Concourse A umgestaltet.[1]
Flughafenanlagen

Der Eugene Airport erstreckt sich über 1052 Hektar.[2]
Start- und Landebahnen
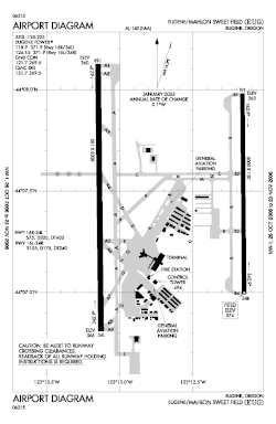
Der Eugene Airport verfügt über zwei parallele Start- und Landebahnen mit einer Nord-Süd-Ausrichtung. Die westliche Start- und Landebahn 16R/34L ist 2441 Meter lang und 46 Meter breit, der Belag besteht aus Asphalt. Die östliche Start- und Landebahn 16L/34R ist 1829 Meter lang und 46 Meter breit, der Belag besteht ebenfalls aus Asphalt. Sie wird vor allem von der allgemeinen Luftfahrt benutzt. Die Start- und Landebahn 16L/34R wurde im Jahr 2005 eröffnet. Da die beiden Start- und Landebahnen rund 1311 Meter voneinander entfernt liegen, können sie unabhängig voneinander betrieben werden.[1]
Passagierterminal

Der Eugene Airport verfügt über ein Passagierterminal. Es ist mit zehn Flugsteigen in zwei Concourses ausgestattet. Dabei befinden sich im Concourse A sechs Flugsteige mit den Bezeichnung A1 bis A6. Die Flugsteige A2 bis A6 verfügen über Fluggastbrücken. Die vier Flugsteige in Concourse B tragen die Bezeichnungen B1 bis B3 und B North. Zwischenzeitlich verfügten zwei Flugsteige im Concourse B über Fluggastbrücken. Diese wurden jedoch mittlerweile entfernt.
Das Passagierterminal wurde ursprünglich 1964 eröffnet. 1988 wurde der Concourse A errichtet. 2008 wurde Concourse A umgestaltet.[1]
Frachtterminal
Das Frachtterminal liegt am südlichen Ende des Flughafengeländes.[6] Es hat eine Fläche von rund 1300 Quadratmetern.[1]
Fluggesellschaften und Ziele
Der Eugene Airport wird von den Fluggesellschaften Alaska Airlines/Horizon Air, Allegiant Air, American Airlines/American Eagle, Avelo Airlines, Delta Connection, ExpressJet Airlines, Southwest Airlines und United Airlines/United Express genutzt. Es werden 17 Ziele in den Vereinigten Staaten angeflogen, darunter vor allem die Drehkreuze der einzelnen Fluggesellschaften.[7]
Verkehrszahlen

| Jahr | Fluggastaufkommen | Luftfracht (Tonnen) (mit Luftpost) |
Flugbewegungen |
|---|---|---|---|
| 2021 | 1.144.028 | 543 | 60.633 |
| 2020 | 546.212 | 537 | 50.759 |
| 2019 | 1.218.104 | 556 | 63.167 |
| 2018 | 1.168.110 | 532 | 64.393 |
| 2017 | 1.078.504 | 510 | 61.634 |
| 2016 | 984.175 | 524 | 61.601 |
| 2015 | 909.121 | 632 | 59.961 |
| 2014 | 892.873 | 570 | 62.455 |
| 2013 | 880.257 | 606 | 60.633 |
| 2012 | 826.517 | 637 | 58.027 |
| 2011 | 797.177 | 614 | 66.230 |
| 2010 | 754.867 | 618 | 67.551 |
Verkehrsreichste Strecken
| Rang | Stadt | Passagiere | Fluggesellschaften |
|---|---|---|---|
| 1 | Seattle/Tacoma, Washington | 162.450 | Horizon, Delta Connection |
| 2 | Denver, Colorado | 77.070 | Southwest, United |
| 3 | San Francisco, Kalifornien | 56.220 | United/United Express |
| 4 | Salt Lake City, Utah | 46.300 | Delta Connection |
| 5 | Phoenix–Sky Harbor, Arizona | 42.320 | American/American Eagle |
| 6 | Los Angeles, Kalifornien | 41.360 | Allegiant, American Eagle, United Express |
| 7 | Oakland, Kalifornien | 32.600 | Allegiant, Southwest |
| 8 | Las Vegas, Nevada | 28.830 | Allegiant, Southwest |
| 9 | Dallas/Fort Worth, Texas | 26.390 | American |
| 10 | Burbank, Kalifornien | 18.860 | Avelo |
Weblinks
- Webseite des Flughafens (englisch)
Einzelnachweise
- ↑ a b c d e Master Plan and Airport Layout Plan. Eugene-OR.gov, abgerufen am 22. Dezember 2019 (englisch).
- ↑ a b AirportIQ 5010: Mahlon Sweet Field. GCR1.com, abgerufen am 22. Dezember 2019 (englisch).
- ↑ Visitors. Eugene-OR.gov, abgerufen am 22. Dezember 2019 (englisch).
- ↑ a b c d e Airport Statistics. Eugene-OR.gov, abgerufen am 16. August 2022 (englisch).
- ↑ Ground Transportation. Eugene-OR.gov, abgerufen am 22. Dezember 2019 (englisch).
- ↑ Air Cargo. Eugene-OR.gov, archiviert vom (nicht mehr online verfügbar) am 22. Dezember 2019; abgerufen am 22. Dezember 2019 (englisch). Info: Der Archivlink wurde automatisch eingesetzt und noch nicht geprüft. Bitte prüfe Original- und Archivlink gemäß Anleitung und entferne dann diesen Hinweis.
- ↑ a b Flight Tracking Information. Eugene-OR.gov, abgerufen am 16. August 2022 (englisch).
- ↑ Eugene, OR: Mahlon Sweet Field (EUG). Transtats.BTS.gov, abgerufen am 16. August 2022 (englisch).


_location_map.svg.png)